Официальное опубликование правовых актов
ОФИЦИАЛЬНОЕ ОПУБЛИКОВАНИЕ
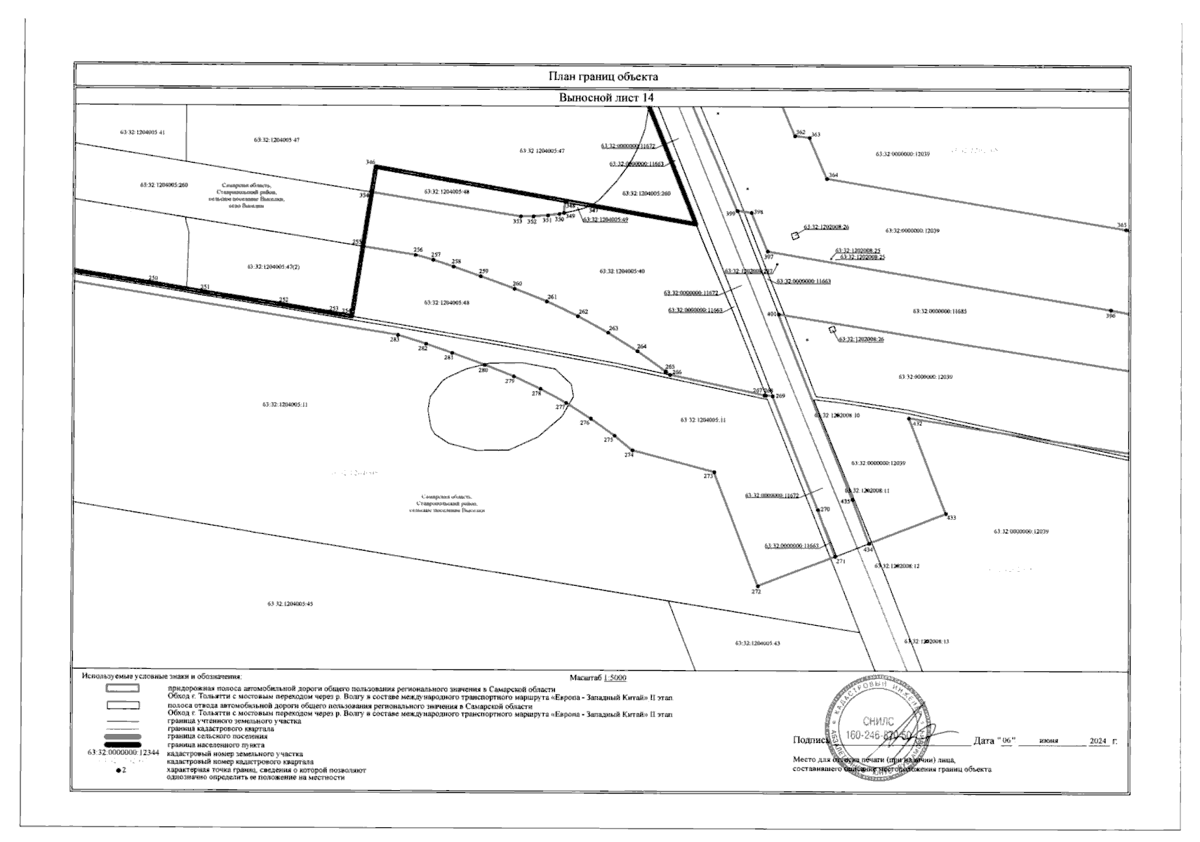
Приказ Министерства транспорта и автомобильных дорог Самарской области от 26.08.2024 № 230
"Об установлении зоны с особыми условиями использования территории – придорожной полосы автомобильной дороги общего пользования регионального значения в Самарской области Обход г. Тольятти с мостовым переходом через р. Волгу в составе международного транспортного маршрута "Европа – Западный Китай" II этап"
(Зарегистрирован 26.08.2024 № МТ-24-230)
Номер опубликования: 6301202408290001
Дата опубликования: 29.08.2024
Страница №23 из 52:
Увеличить