Официальное опубликование правовых актов
ОФИЦИАЛЬНОЕ ОПУБЛИКОВАНИЕ
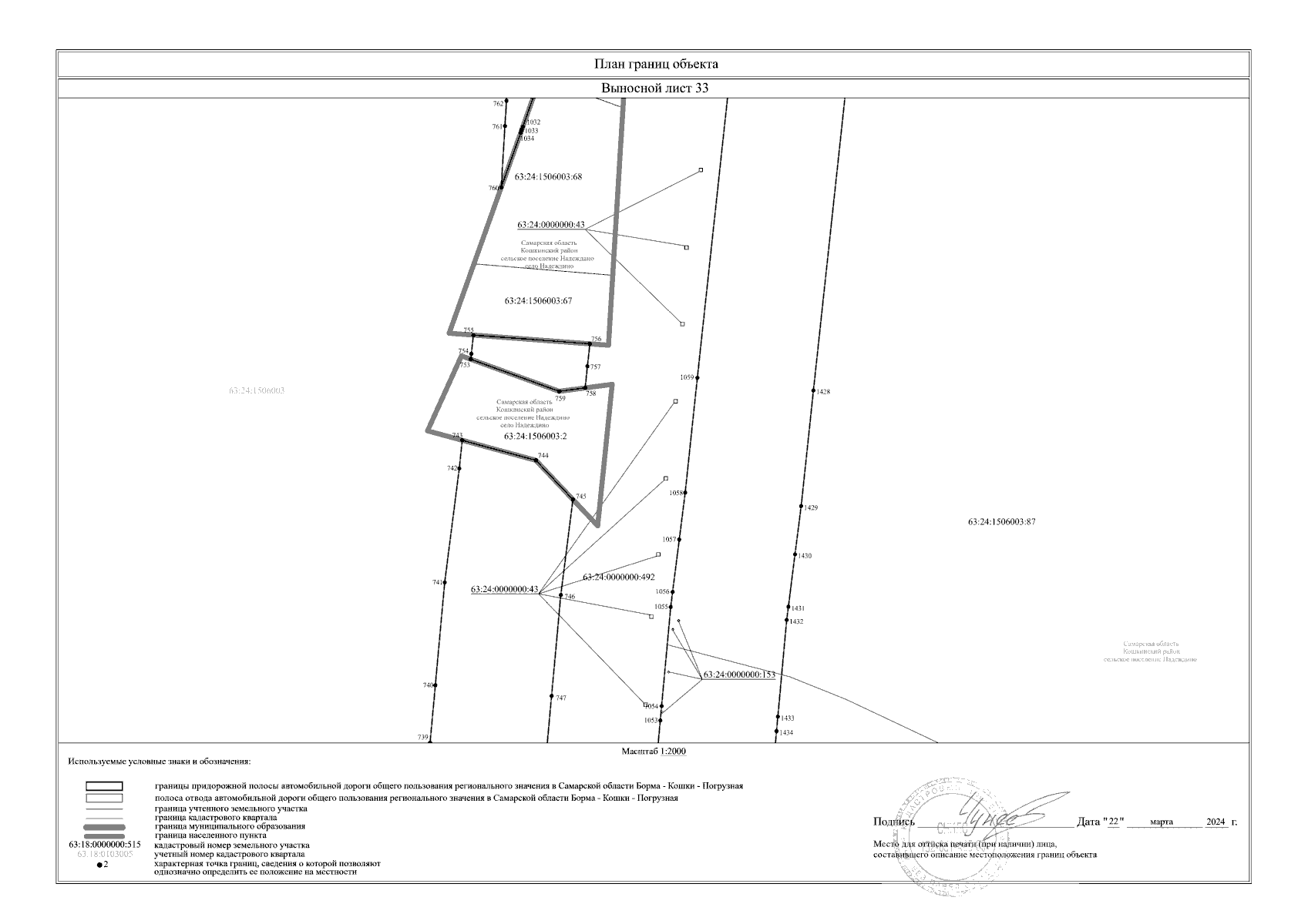
Приказ Министерства транспорта и автомобильных дорог Самарской области от 17.06.2024 № 155
"Об установлении зоны с особыми условиями использования территории – придорожной полосы автомобильной дороги общего пользования регионального значения в Самарской области Борма – Кошки – Погрузная, расположенной в муниципальных районах Елховский, Кошкинский Самарской области"
(Зарегистрирован 17.06.2024 № МТ-24/155)
Номер опубликования: 6301202406170016
Дата опубликования: 17.06.2024
Страница №45 из 130:
Увеличить