Официальное опубликование правовых актов
ОФИЦИАЛЬНОЕ ОПУБЛИКОВАНИЕ
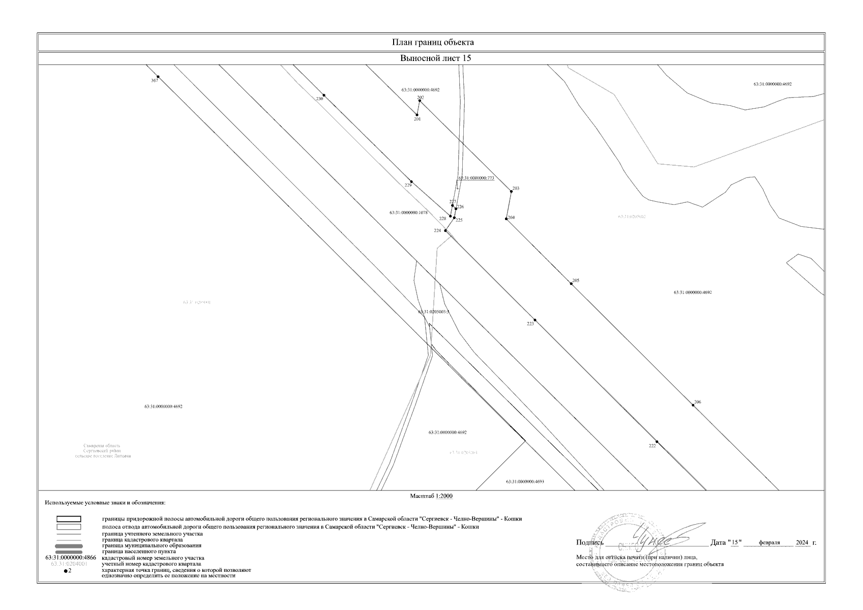
Приказ Министерства транспорта и автомобильных дорог Самарской области от 17.06.2024 № 157
"Об установлении зоны с особыми условиями использования территории – придорожной полосы автомобильной дороги общего пользования регионального значения в Самарской области "Сергиевск - Челно-Вершины" – Кошки, расположенной в муниципальных районах Сергиевский, Кошкинский Самарской области"
(Зарегистрирован 17.06.2024 № МТ-24/157)
Номер опубликования: 6301202406170014
Дата опубликования: 17.06.2024
Страница №99 из 150:
Увеличить