Официальное опубликование правовых актов
ОФИЦИАЛЬНОЕ ОПУБЛИКОВАНИЕ
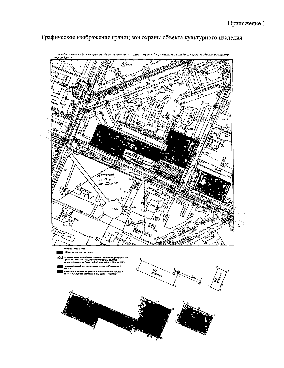
Приказ Управления государственной охраны объектов культурного наследия Самарской области от 21.05.2024 № 86
"Об утверждении границ зон охраны объекта культурного наследия регионального значения "Дом жилой", расположенного по адресу: г. Самара, ул. Урицкого, д. 8, режимов использования земель и требований к градостроительным регламентам в границах данных зон"
(Зарегистрирован 21.05.2024 № УГООКН 2486)
Номер опубликования: 6301202405230006
Дата опубликования: 23.05.2024
Страница №13 из 13:
Увеличить