Официальное опубликование правовых актов
ОФИЦИАЛЬНОЕ ОПУБЛИКОВАНИЕ
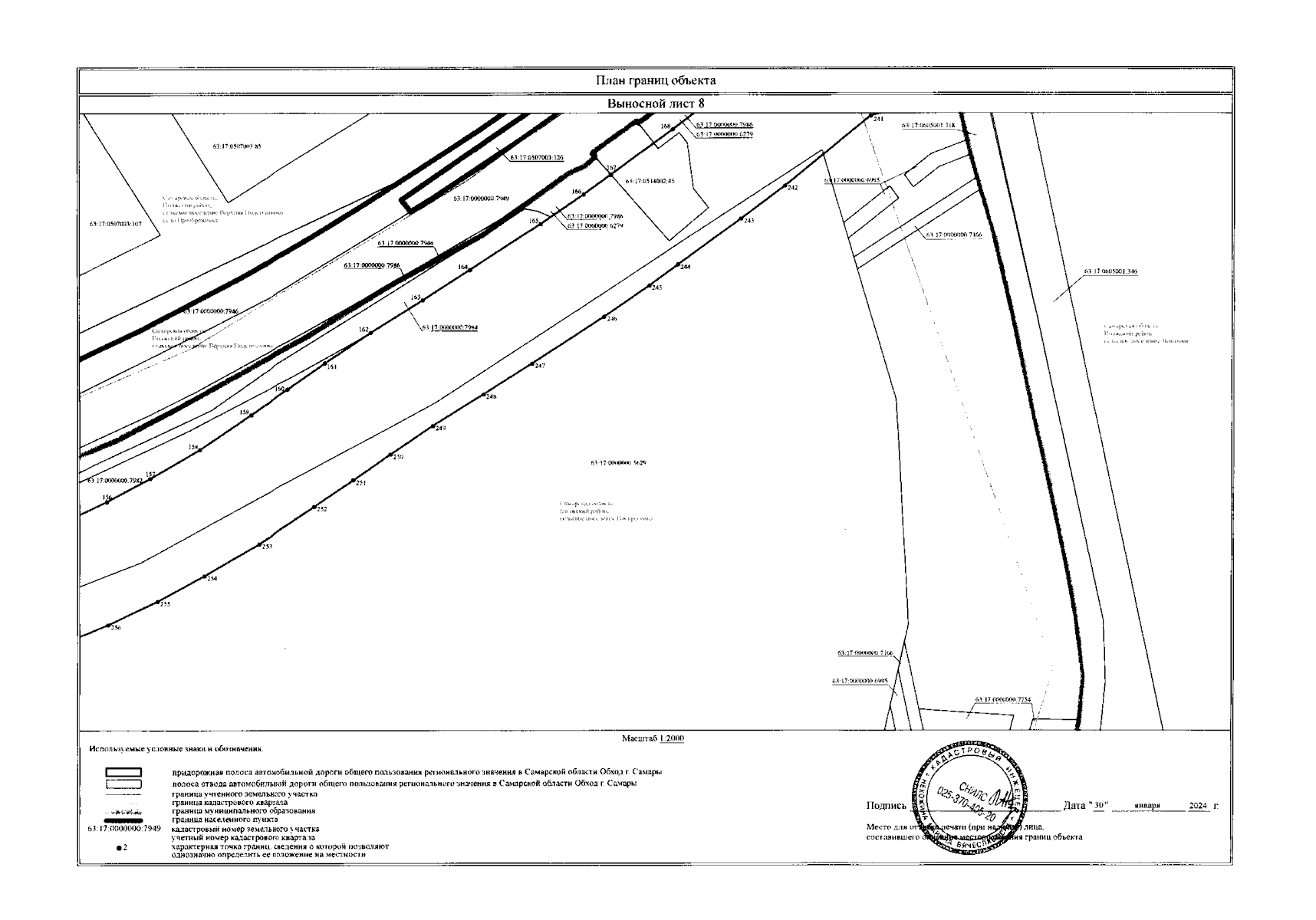
Приказ Министерства транспорта и автомобильных дорог Самарской области от 18.03.2024 № 71
"Об установлении зоны с особыми условиями использования территории – придорожной полосы автомобильной дороги общего пользования регионального значения в Самарской области Обход г. Самары, расположенной в муниципальном районе Волжский Самарской области"
Номер опубликования: 6301202403180002
Дата опубликования: 18.03.2024
Страница №14 из 41:
Увеличить