Официальное опубликование правовых актов
ОФИЦИАЛЬНОЕ ОПУБЛИКОВАНИЕ
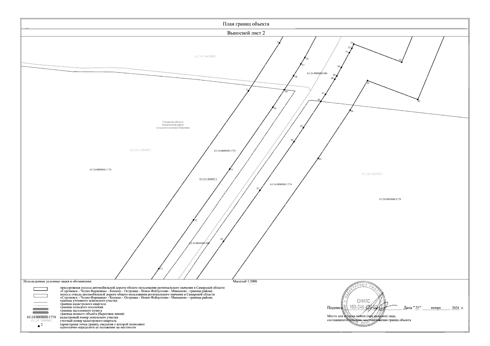
Приказ Министерства транспорта и автомобильных дорог Самарской области от 11.03.2024 № 62
"Об установлении зоны с особыми условиями использования территории – придорожной полосы автомобильной дороги общего пользования регионального значения в Самарской области "Сергиевск – Челно-Вершины" – Кошки" – Островка – Новое Фейзуллово – Мамыково – граница района, расположенной в муниципальном районе Кошкинский Самарской области"
(Зарегистрирован 11.03.2024 № МТ-24/62)
Номер опубликования: 6301202403120006
Дата опубликования: 12.03.2024
Страница №10 из 124:
Увеличить