Официальное опубликование правовых актов
ОФИЦИАЛЬНОЕ ОПУБЛИКОВАНИЕ
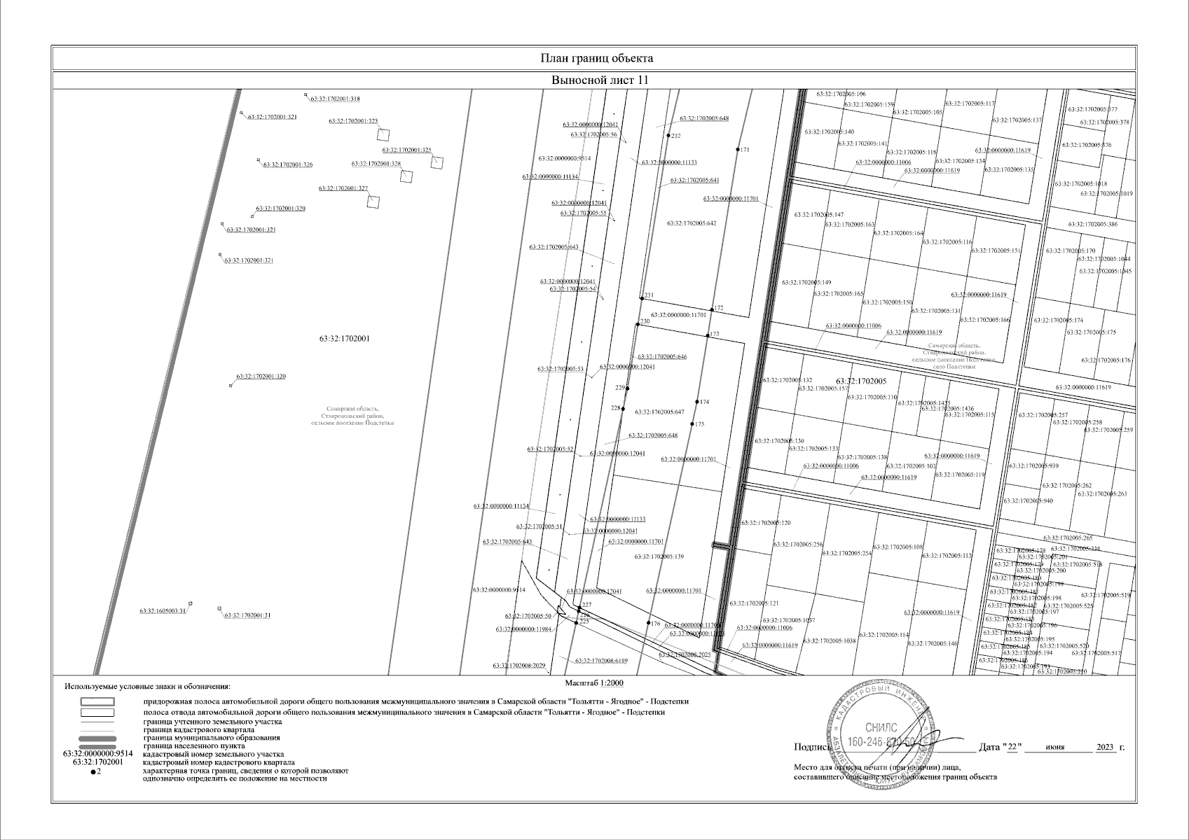
Приказ Министерства транспорта и автомобильных дорог Самарской области от 11.12.2023 № 394
"Об установлении зоны с особыми условиями использования территории – придорожной полосы автомобильной дороги общего пользования межмуниципального значения в Самарской области "Тольятти – Ягодное" – Подстепки, расположенной в муниципальном районе Ставропольский Самарской области"
(Зарегистрирован 11.12.2023 № VN-23/394)
Номер опубликования: 6301202312120010
Дата опубликования: 12.12.2023
Страница №20 из 37:
Увеличить