Приказ Министерства транспорта и автомобильных дорог Самарской области от 09.11.2023 № 344
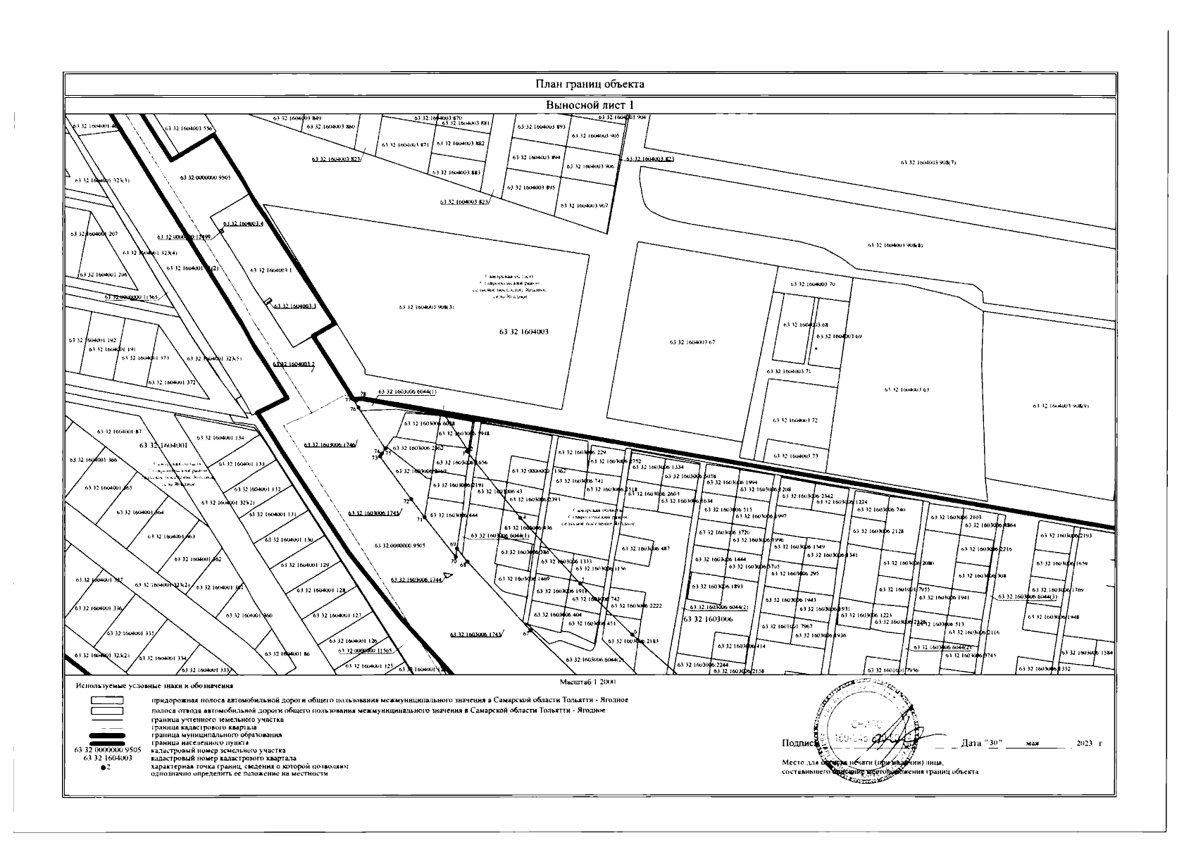
"Об установлении зоны с особыми условиями использования территории – придорожной полосы автомобильной дороги общего пользования межмуниципального значения в Самарской области Тольятти – Ягодное, расположенной в городском округе Тольятти, в муниципальном районе Ставропольский Самарской области"
(Зарегистрирован 09.11.2023 № МТ 23/344)
"Об установлении зоны с особыми условиями использования территории – придорожной полосы автомобильной дороги общего пользования межмуниципального значения в Самарской области Тольятти – Ягодное, расположенной в городском округе Тольятти, в муниципальном районе Ставропольский Самарской области"
(Зарегистрирован 09.11.2023 № МТ 23/344)
Номер опубликования: 6301202311130001
Дата опубликования:
13.11.2023
