Официальное опубликование правовых актов
ОФИЦИАЛЬНОЕ ОПУБЛИКОВАНИЕ
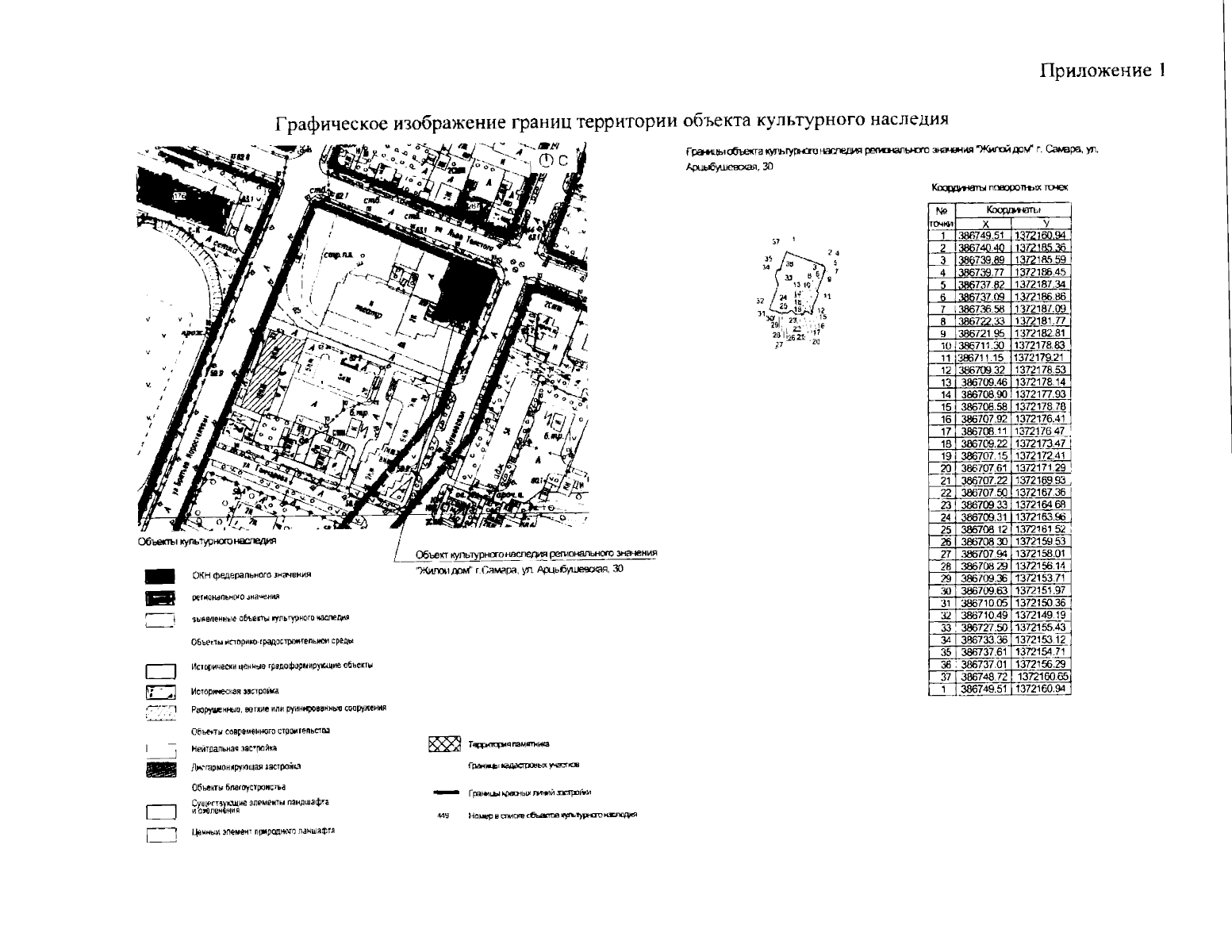
Приказ Управления государственной охраны объектов культурного наследия Самарской области от 19.10.2023 № 393
"Об утверждении границ территории и зон охраны объекта культурного наследия регионального значения "Жилой дом", расположенного по адресу: г. Самара, ул. Арцыбушевская, 30, режимов использования земель и требований к градостроительным регламентам в границах данных зон"
(Зарегистрирован 19.10.2023 № УГООКН 23393)
Номер опубликования: 6301202310230021
Дата опубликования: 23.10.2023
Страница №21 из 22:
Увеличить