Официальное опубликование правовых актов
ОФИЦИАЛЬНОЕ ОПУБЛИКОВАНИЕ
Приказ Министерства имущественных отношений Самарской области от 08.09.2022 № 1616
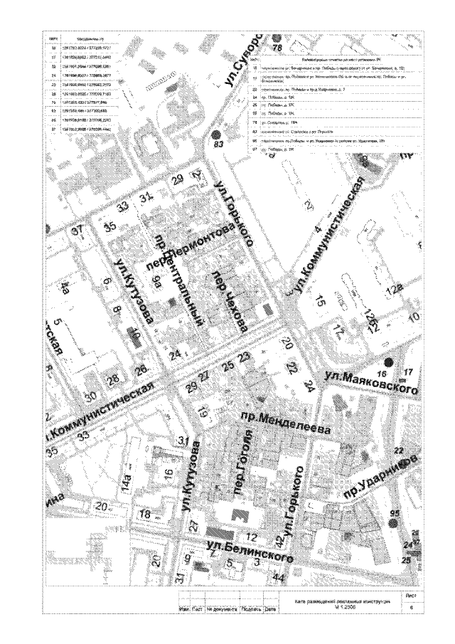
"О внесении изменений в приказ министерства имущественных отношений Самарской области от 10.04.2017 № 412 "Об утверждении схемы размещения рекламных конструкций на территории городского округа Новокуйбышевск Самарской области"
Номер опубликования: 6301202209090008
Дата опубликования: 09.09.2022
Страница №33 из 55:
Увеличить