Официальное опубликование правовых актов
ОФИЦИАЛЬНОЕ ОПУБЛИКОВАНИЕ
Приказ Управления государственной охраны объектов культурного наследия Самарской области от 06.09.2022 № 234
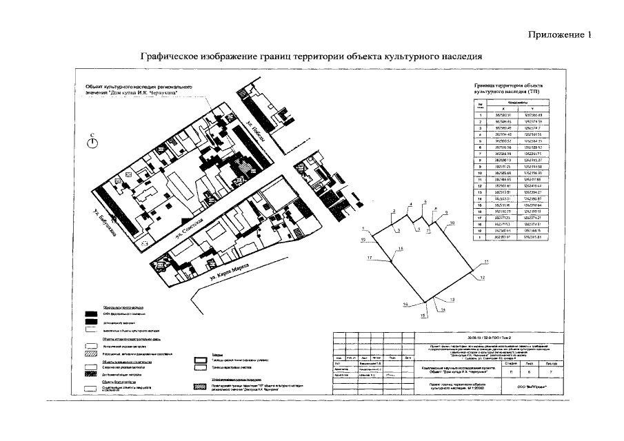
"Об утверждении границ территории и зон охраны объекта культурного наследия регионального значения "Дом купца И.К. Чернухина", расположенного по адресу: Самарская область, г. Сызрань, ул. Советская, 63, литера А, режимов использования земель и требований к градостроительным регламентам в границах данных зон"
Номер опубликования: 6301202209070003
Дата опубликования: 07.09.2022
Страница №15 из 16:
Увеличить