Официальное опубликование правовых актов
ОФИЦИАЛЬНОЕ ОПУБЛИКОВАНИЕ
Постановление Главного управления архитектуры и градостроительства Рязанской области от 19.08.2020 № 517-п
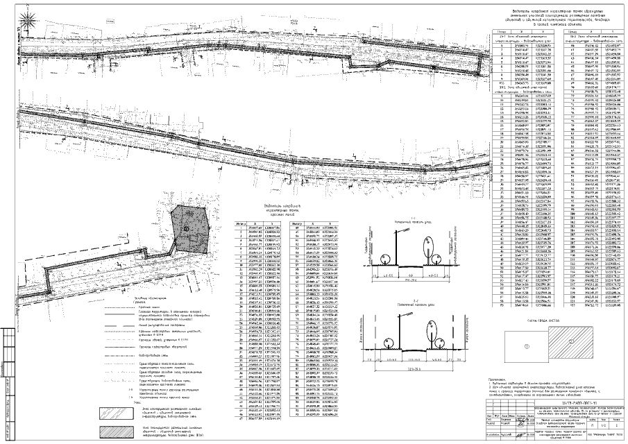
"Об утверждении проекта планировки территории и проекта межевания территории по объекту: "Строительство артезианской скважины, строительство станции водоподготовки на объекте "Артезианская скважина №114 по ул. Ленина" и реконструкция водопроводной сети объекта "Водопроводная сеть по ул. Ленина" в г. Скопин Скопинского муниципального района Рязанской области"
Номер опубликования: 6201202008200035
Дата опубликования: 20.08.2020
Страница №32 из 34:
Увеличить