Постановление Главного управления архитектуры и градостроительства Рязанской области от 11.03.2020 № 129-п
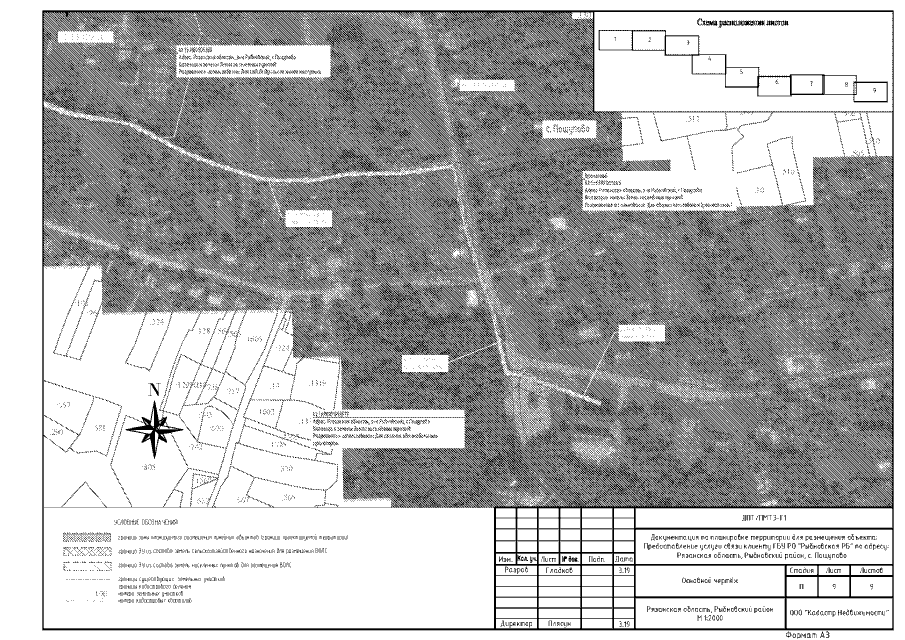
"Об утверждении проекта планировки и проекта межевания территории по объекту волоконно-оптической линии связи в рамках проекта ГБУ РО "Рыбновская РБ" по адресу: Рязанская область, Рыбновский район, с. Пощупово"
"Об утверждении проекта планировки и проекта межевания территории по объекту волоконно-оптической линии связи в рамках проекта ГБУ РО "Рыбновская РБ" по адресу: Рязанская область, Рыбновский район, с. Пощупово"
Номер опубликования: 6201202003170002
Дата опубликования:
17.03.2020
