Постановление Главного управления архитектуры и градостроительства Рязанской области от 28.02.2020 № 110-п
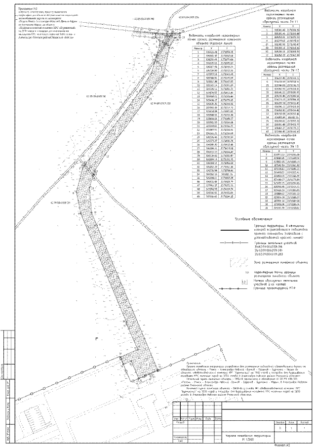
"Об утверждении проекта планировки, проекта межевания территории для объекта "Строительство подъездной автомобильной дороги от автодороги: "Рязань-Ряжск-Александро-Невский-Данков-Ефремов-Бурминка-Мары" до объекта: "Животноводческий комплекс КРС "Бурминский" на 3550 коров и площадок для выращивания молодняка КРС молочных пород на 5050 голов" в Александро-Невском районе Рязанской области"
"Об утверждении проекта планировки, проекта межевания территории для объекта "Строительство подъездной автомобильной дороги от автодороги: "Рязань-Ряжск-Александро-Невский-Данков-Ефремов-Бурминка-Мары" до объекта: "Животноводческий комплекс КРС "Бурминский" на 3550 коров и площадок для выращивания молодняка КРС молочных пород на 5050 голов" в Александро-Невском районе Рязанской области"
Номер опубликования: 6201202003050009
Дата опубликования:
05.03.2020
