Официальное опубликование правовых актов
ОФИЦИАЛЬНОЕ ОПУБЛИКОВАНИЕ
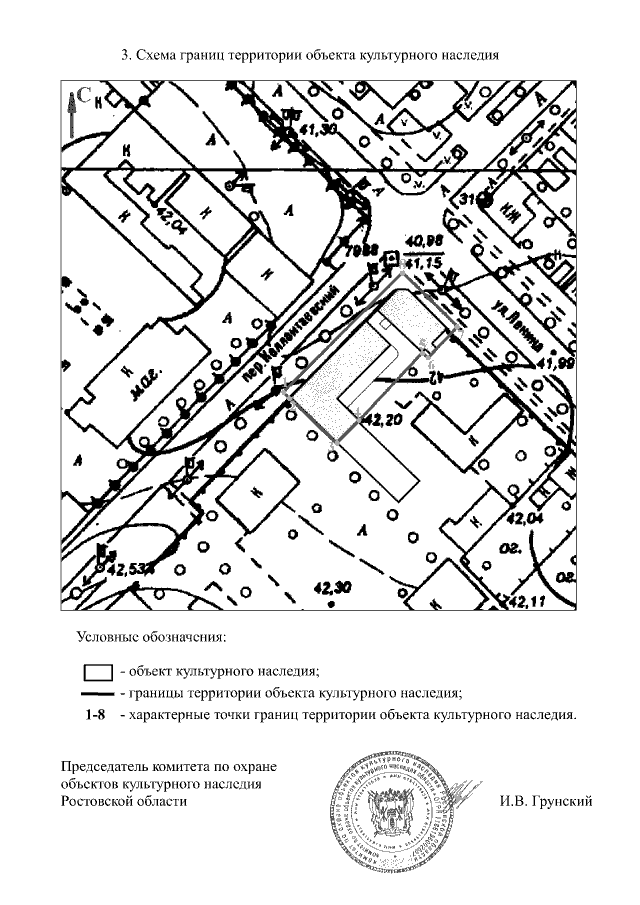
Постановление Комитета по охране объектов культурного наследия Ростовской области от 02.03.2018 № 20/01-01/18
"Об утверждении границ территории объекта культурного наследия регионального значения "Жилой дом – усадьба И.Г. Пилипенко, Е.П. Пашкова, затем лакокрасочная фабрика"
Номер опубликования: 6101201803070013
Дата опубликования: 07.03.2018
Страница №4 из 4:
Увеличить