Официальное опубликование правовых актов
ОФИЦИАЛЬНОЕ ОПУБЛИКОВАНИЕ
Постановление Правительства Ростовской области от 27.02.2023 № 94
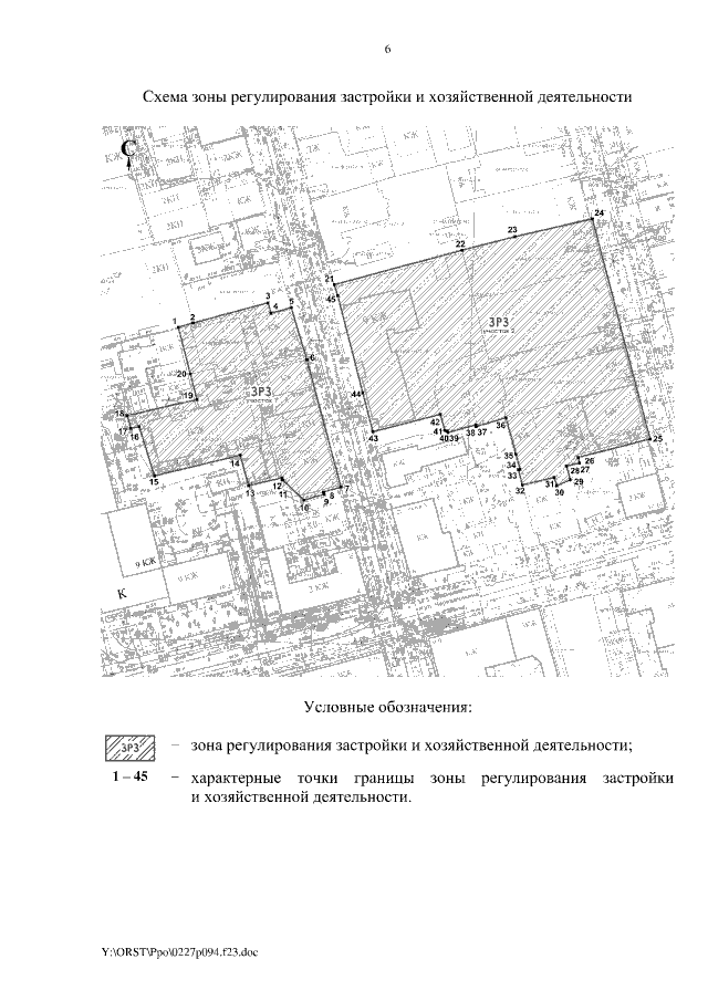
"Об установлении зон охраны объекта культурного наследия регионального значения "Дом С. Бароновой, в котором жил В. Черевичкин" и утверждении требований к градостроительным регламентам в границах территорий данных зон"
Номер опубликования: 6100202302280020
Дата опубликования: 28.02.2023
Страница №6 из 12:
Увеличить