Официальное опубликование правовых актов
ОФИЦИАЛЬНОЕ ОПУБЛИКОВАНИЕ
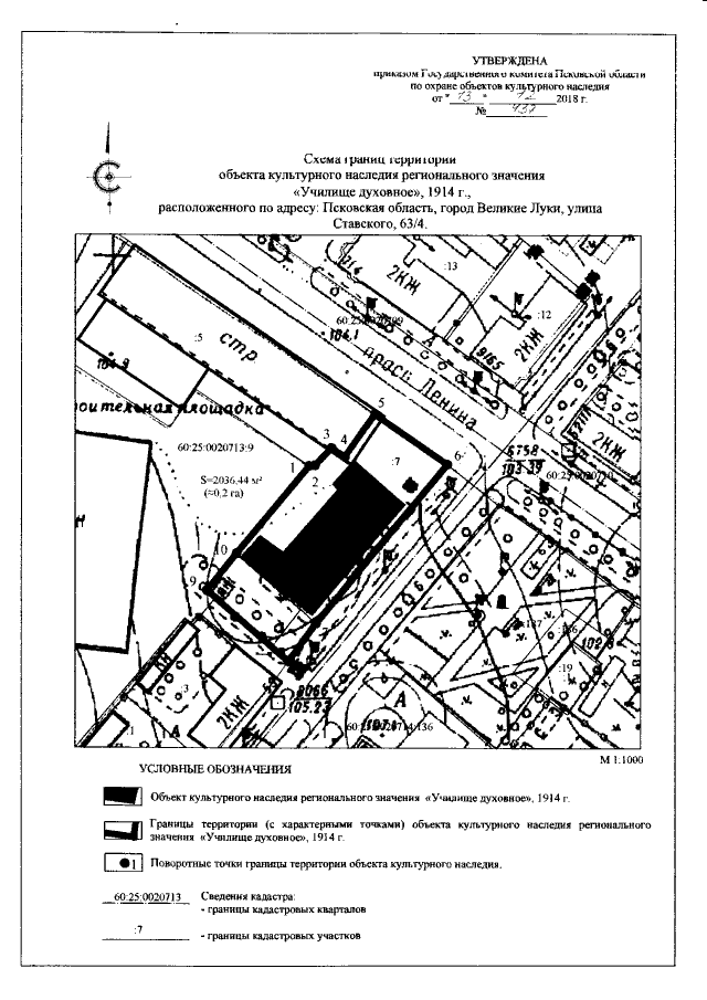
Приказ Государственного комитета Псковской области по охране объектов культурного наследия от 13.12.2018 № 437 "Об утверждении границы территории объекта культурного наследия регионального значения "Училище духовное", 1914 г., расположенного по адресу: Псковская область, город Великие Луки, улица Ставского, 63/4"
Номер опубликования: 6001201812200017
Дата опубликования: 20.12.2018
Страница №5 из 6:
Увеличить