Официальное опубликование правовых актов
ОФИЦИАЛЬНОЕ ОПУБЛИКОВАНИЕ
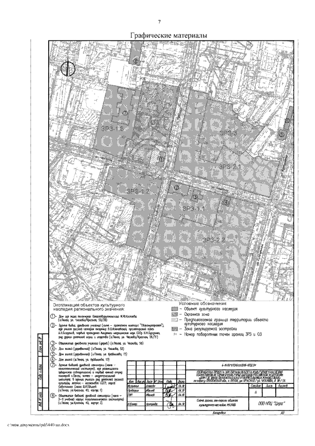
Постановление Правительства Пензенской области от 22.08.2018 № 440-пП
"Об утверждении границ зон охраны, режимов использования земель и требований к градостроительным регламентам в границах данных зон объекта культурного наследия регионального значения "Дом, в котором жила пензенская благотворительница М.М. Киселева" (Пензенская область, г. Пенза, ул. Красная/Чкалова, 38/53, литер А, А1, А2)"
Номер опубликования: 5800201808240004
Дата опубликования: 24.08.2018
Страница №9 из 13:
Увеличить