Постановление Правительства Орловской области от 19.12.2025 № 836
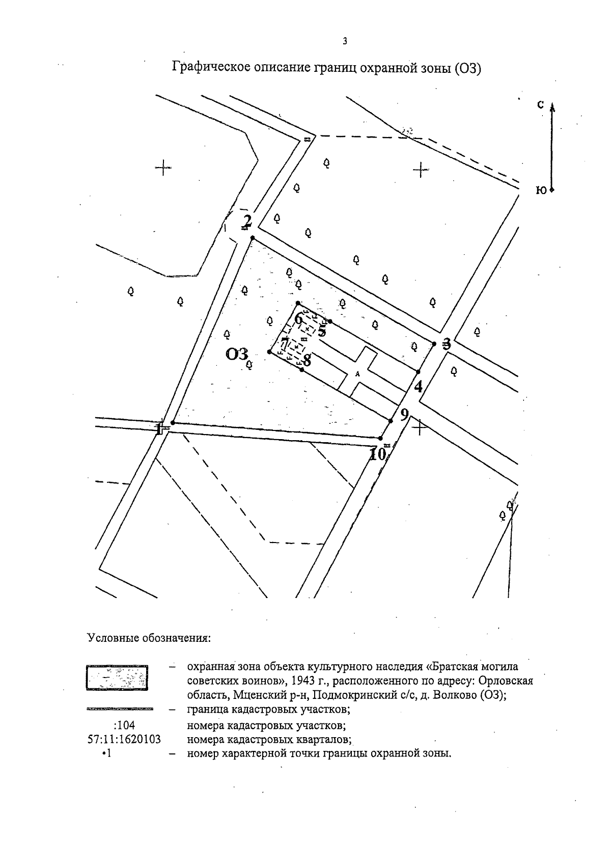
"Об установлении зон охраны объекта культурного наследия регионального историко-культурного значения "Братская могила советских воинов", 1943 г., расположенного по адресу: Орловская область, Мценский р-н, Подмокринский с/с, д. Волково"
"Об установлении зон охраны объекта культурного наследия регионального историко-культурного значения "Братская могила советских воинов", 1943 г., расположенного по адресу: Орловская область, Мценский р-н, Подмокринский с/с, д. Волково"
Номер опубликования: 5700202512240004
Дата опубликования:
24.12.2025
