Официальное опубликование правовых актов
ОФИЦИАЛЬНОЕ ОПУБЛИКОВАНИЕ
Приказ Министерства градостроительной деятельности и развития агломераций Нижегородской области от 06.12.2024 № 07-02-03/109
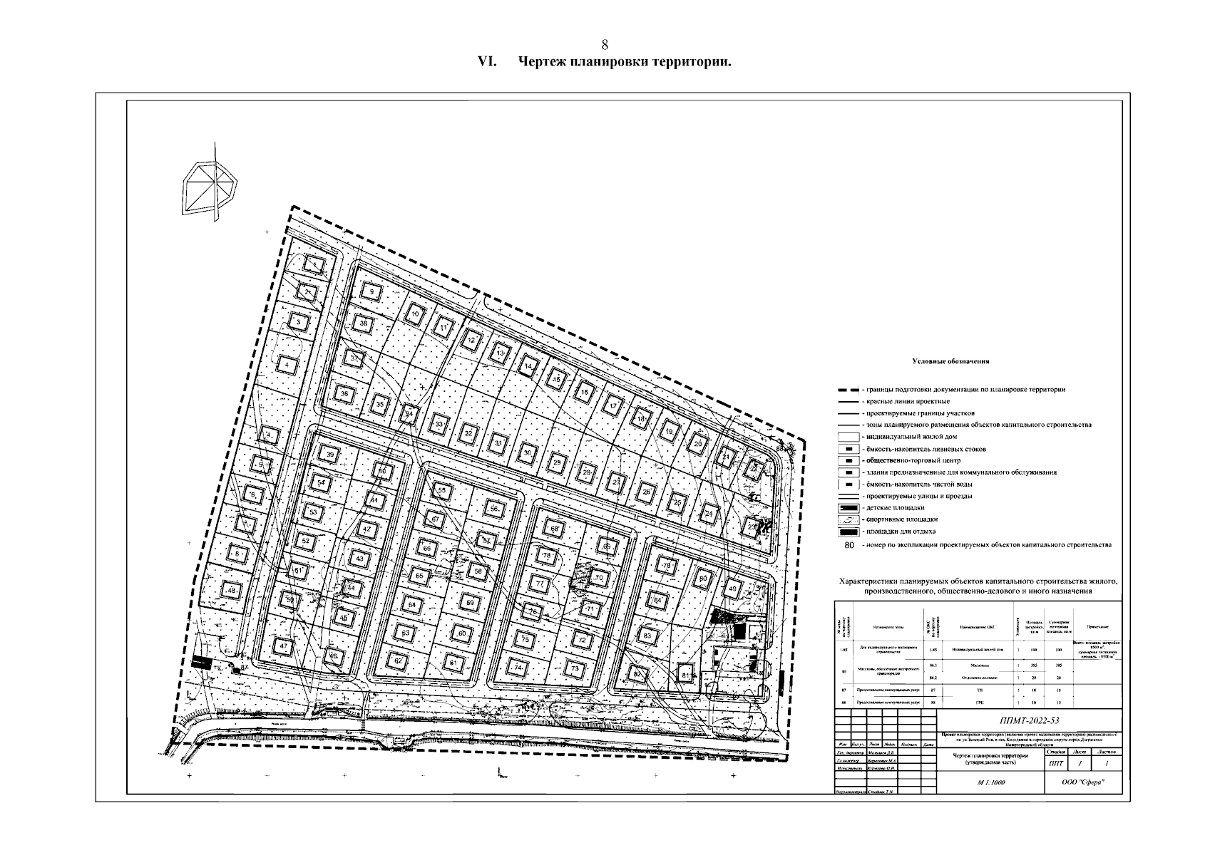
"Об утверждении документации по планировке территории (проекта планировки территории, включая проект межевания территории), расположенной по ул. Зеленый Ров в пос. Колодкино в городском округе город Дзержинск Нижегородской области"
(Зарегистрирован 20.01.2025 № 27438-330-007-02-03/109)
Номер опубликования: 5201202501230010
Дата опубликования: 23.01.2025
Страница №10 из 12:
Увеличить