Официальное опубликование правовых актов
ОФИЦИАЛЬНОЕ ОПУБЛИКОВАНИЕ
Приказ Министерства градостроительной деятельности и развития агломераций Нижегородской области от 29.01.2024 № 07-02-03/7
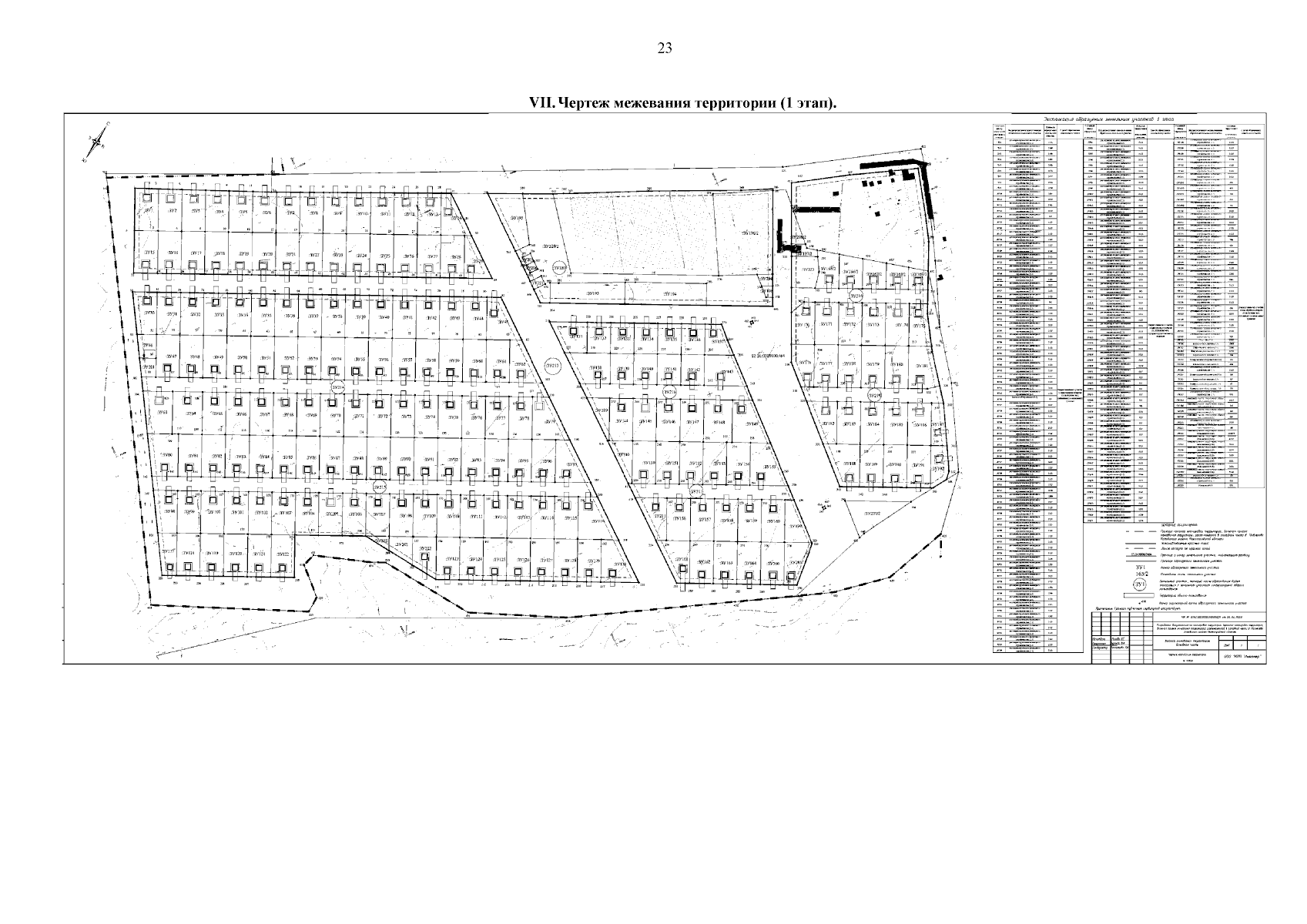
"Об утверждении документации по планировке территории (проекта планировки территории, включая проект межевания территории), расположенной в западной части деревни Подлесово Кстовского муниципального округа Нижегородской области"
(Зарегистрирован 20.02.2024 № 25136-330-007-02-03/7)
Номер опубликования: 5201202402220001
Дата опубликования: 22.02.2024
Страница №25 из 26:
Увеличить