Официальное опубликование правовых актов
ОФИЦИАЛЬНОЕ ОПУБЛИКОВАНИЕ
Постановление Правительства Нижегородской области от 17.09.2018 № 646
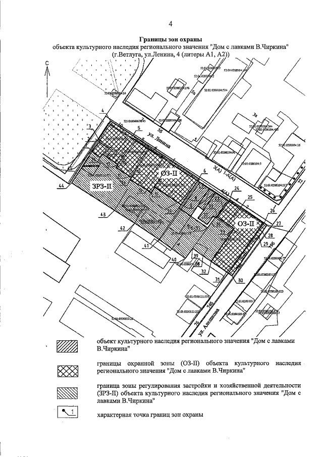
"Об утверждении границ зон охраны объектов культурного наследия регионального значения, расположенных в г. Ветлуге, особых режимов использования земель и требований к градостроительным регламентам в утвержденных границах"
Номер опубликования: 5200201809180003
Дата опубликования: 18.09.2018
Страница №6 из 15:
Увеличить