Официальное опубликование правовых актов
ОФИЦИАЛЬНОЕ ОПУБЛИКОВАНИЕ
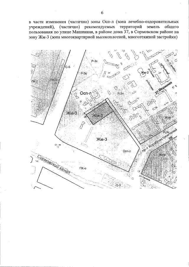
Постановление Правительства Нижегородской области от 03.04.2018 № 226
"Об утверждении изменений в генеральный план города Нижнего Новгорода, утвержденный постановлением городской Думы города Нижнего Новгорода от 17 марта 2010 года № 22"
Номер опубликования: 5200201804040001
Дата опубликования: 04.04.2018
Страница №10 из 13:
Увеличить