Официальное опубликование правовых актов
ОФИЦИАЛЬНОЕ ОПУБЛИКОВАНИЕ
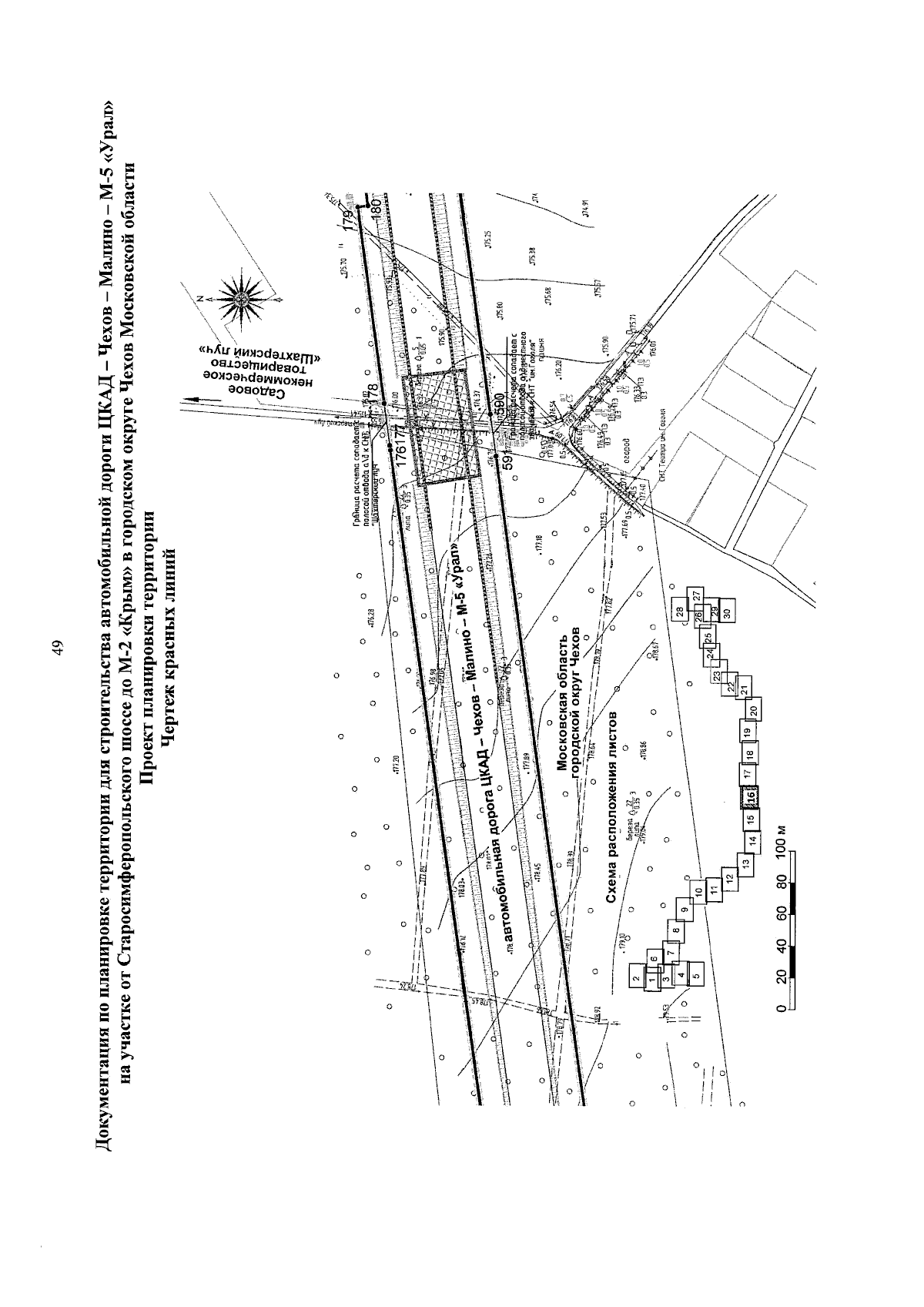
Постановление Правительства Московской области от 29.08.2024 № 923-ПП
"Об утверждении документации по планировке территории для строительства автомобильной дороги ЦКАД - Чехов - Малино - М-5 "Урал" на участке от Старосимферопольского шоссе до М-2 "Крым" в городском округе Чехов Московской области"
Номер опубликования: 5000202408290004
Дата опубликования: 29.08.2024
Страница №51 из 211:
Увеличить