Официальное опубликование правовых актов
ОФИЦИАЛЬНОЕ ОПУБЛИКОВАНИЕ
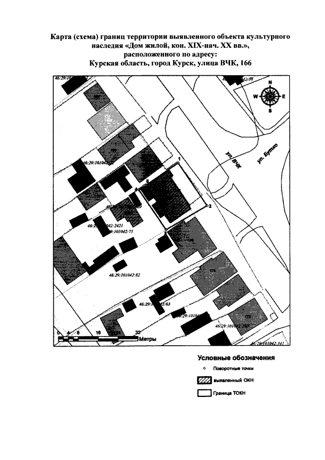
Приказ Комитета по охране объектов культурного наследия Курской области от 01.03.2021 № 01.1-08/69
"Об утверждении границ и режима использования территории выявленного объекта культурного наследия "Дом жилой, кон. ХIХ-нач. ХХ вв.", расположенного по адресу: Курская область, город Курск, улица ВЧК, 166"
Номер опубликования: 4601202103050014
Дата опубликования: 05.03.2021
Страница №3 из 6:
Увеличить