Официальное опубликование правовых актов
ОФИЦИАЛЬНОЕ ОПУБЛИКОВАНИЕ
Постановление Департамента имущественных и земельных отношений Курганской области от 13.03.2019 № 7-п
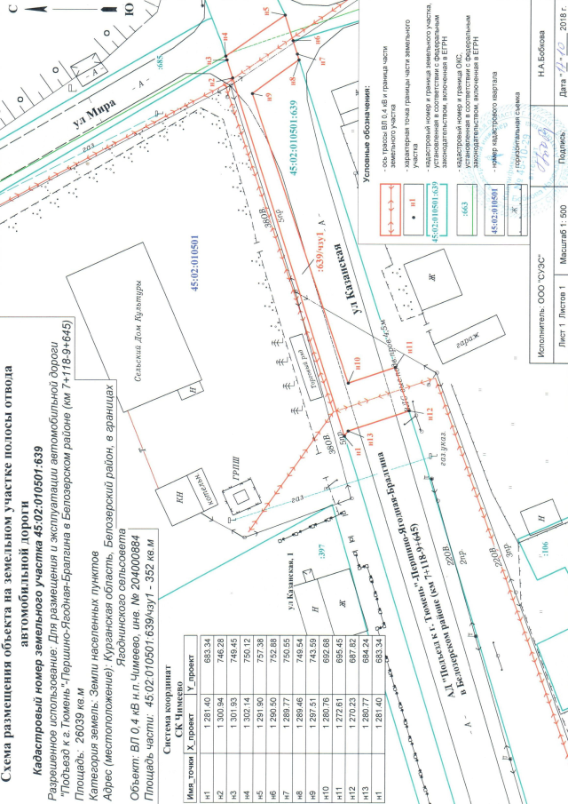
"Об установлении публичного сервитута на часть земельного участка площадью 352 кв. м входящую в состав земельного участка с кадастровым номером 45:02:010501:639 площадью 26039 кв. м, в границах полосы отвода автомобильной дороги "Подъезд к г.Тюмень" - Першино - Ягодная - Бралгина, находящегося по адресу: Курганская область, Белозерский район, в границах Ягоднинского сельсовета, в целях размещения ВЛ 0,4 кВ н.п. Чимеево"
Номер опубликования: 4501201903150005
Дата опубликования: 15.03.2019
Страница №5 из 5:
Увеличить