Официальное опубликование правовых актов
ОФИЦИАЛЬНОЕ ОПУБЛИКОВАНИЕ
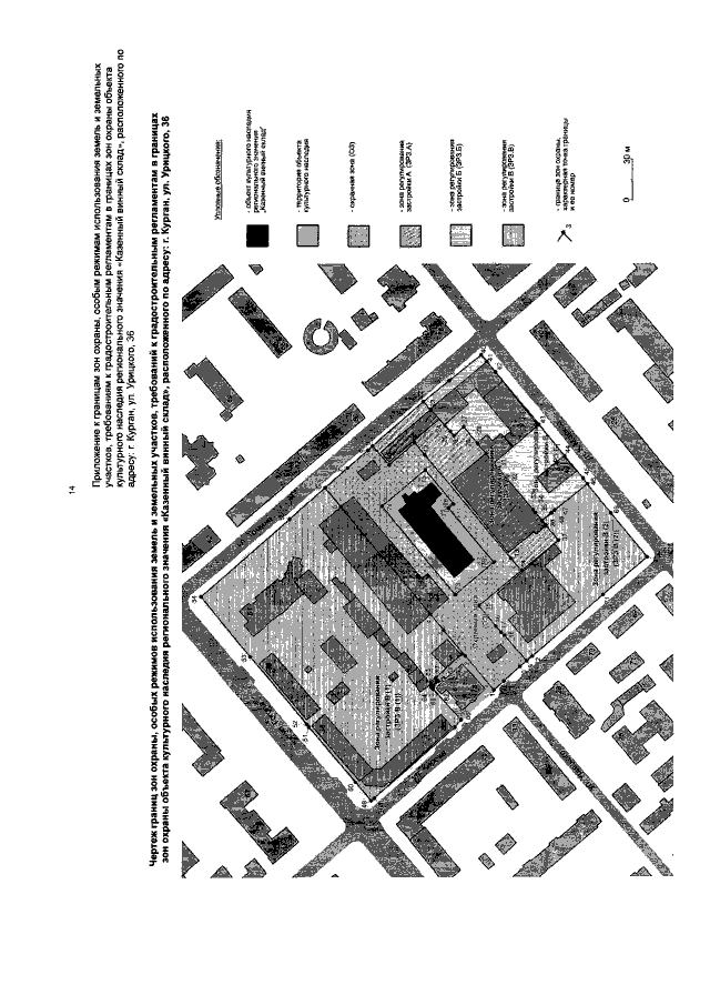
Постановление Правительства Курганской области от 11.06.2019 № 173
"Об утверждении границ зон охраны объектов культурного наследия, особых режимов использования земель и земельных участков, требований к градостроительным регламентам в границах данных зон"
Номер опубликования: 4500201906180004
Дата опубликования: 18.06.2019
Страница №14 из 21:
Увеличить