Постановление Правительства Курганской области от 02.04.2019 № 101
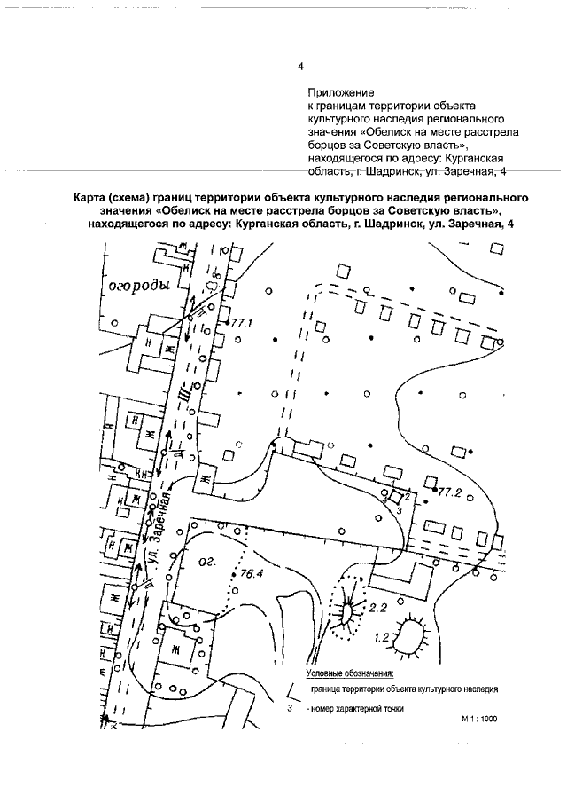
"Об утверждении границ территории объекта культурного наследия"
"Об утверждении границ территории объекта культурного наследия"
Номер опубликования: 4500201904100016
Дата опубликования:
10.04.2019
