Официальное опубликование правовых актов
ОФИЦИАЛЬНОЕ ОПУБЛИКОВАНИЕ
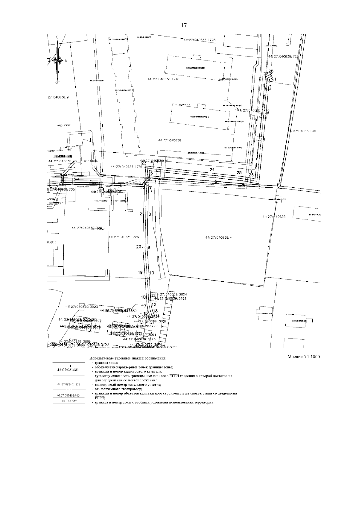
Приказ Департамента имущественных и земельных отношений Костромской области от 05.04.2024 № 56-од
"Об установлении охранных зон газопроводов газораспределительных сетей"
(Зарегистрирован 10.04.2024 № 181)
Номер опубликования: 4401202404110001
Дата опубликования: 11.04.2024
Страница №19 из 36:
Увеличить