Официальное опубликование правовых актов
ОФИЦИАЛЬНОЕ ОПУБЛИКОВАНИЕ
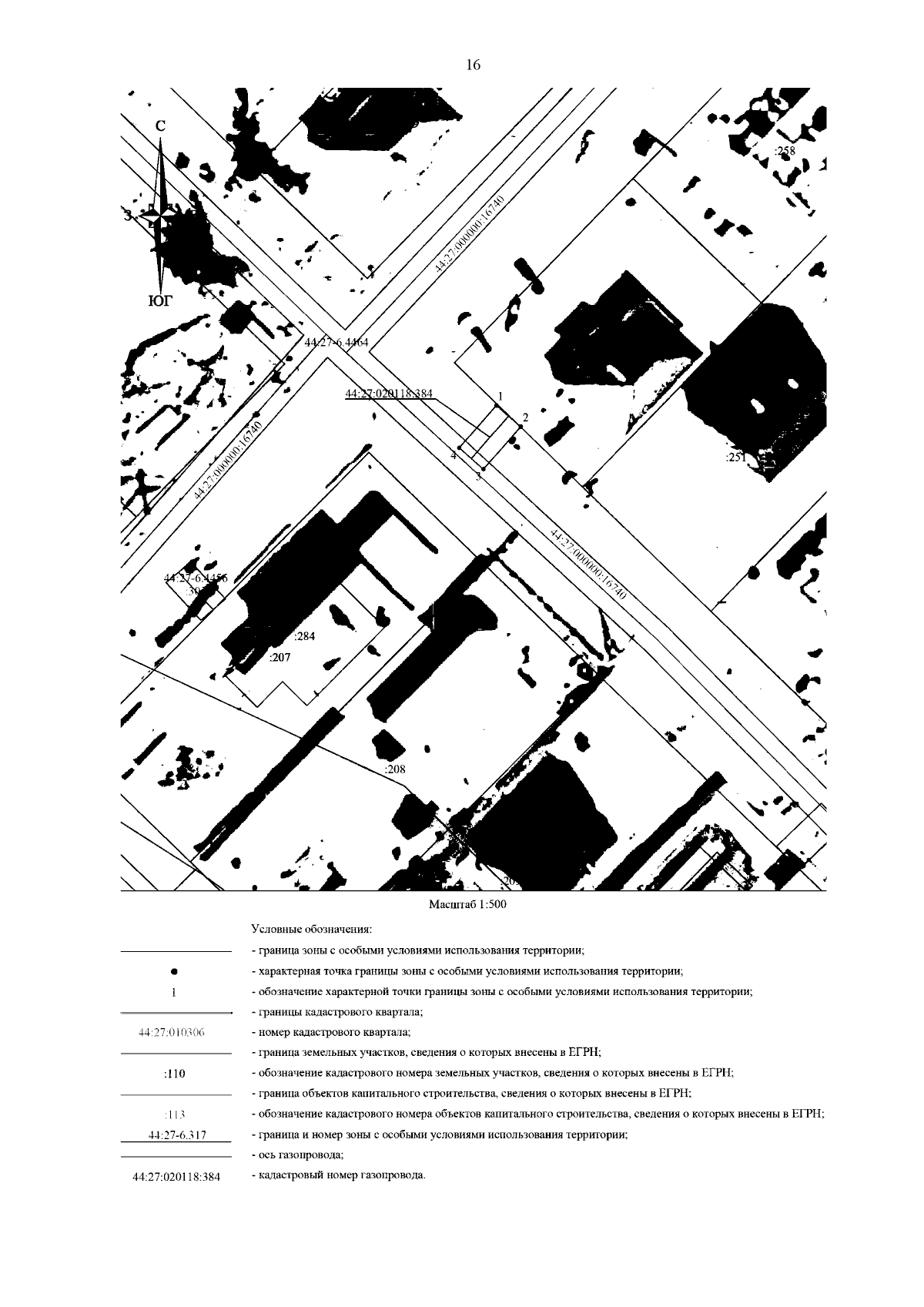
Приказ Департамента имущественных и земельных отношений Костромской области от 01.02.2024 № 20-од
"Об установлении охранных зон газопроводов газораспределительных сетей"
(Зарегистрирован 05.02.2024 № 58)
Номер опубликования: 4401202402060002
Дата опубликования: 06.02.2024
Страница №18 из 55:
Увеличить