Официальное опубликование правовых актов
ОФИЦИАЛЬНОЕ ОПУБЛИКОВАНИЕ
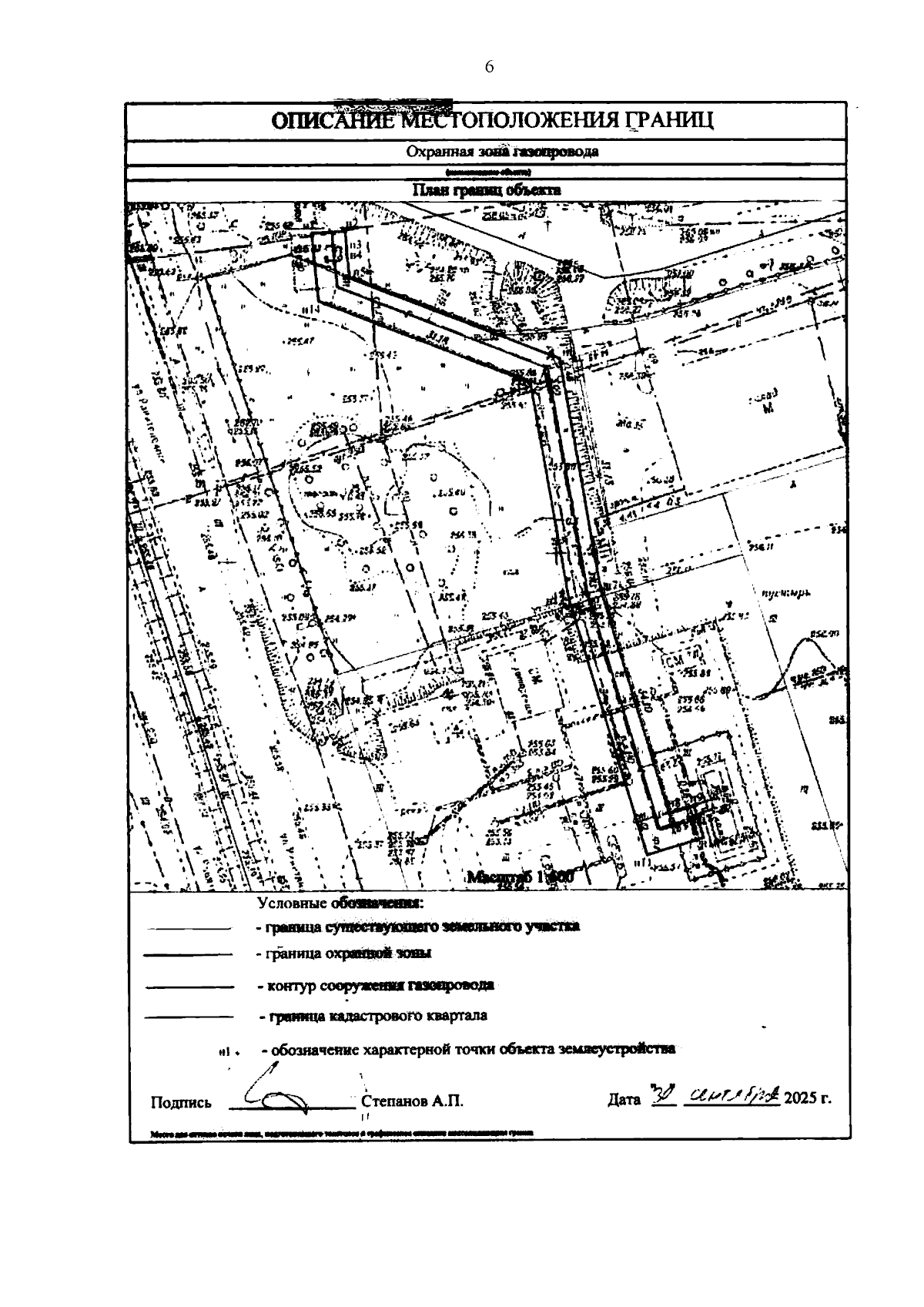
Приказ Министерства промышленности и торговли Кузбасса от 16.12.2025 № 01-05/243
"Об утверждении границ охранной зоны существующей газораспределительной сети и наложении ограничений (обременений) на входящий в нее земельный участок"
(Зарегистрирован 24.12.2025 № 00262514214)
Номер опубликования: 4201202512290072
Дата опубликования: 29.12.2025
Страница №6 из 6:
Увеличить