Официальное опубликование правовых актов
ОФИЦИАЛЬНОЕ ОПУБЛИКОВАНИЕ
Постановление Коллегии Администрации Кемеровской области от 04.07.2017 № 336
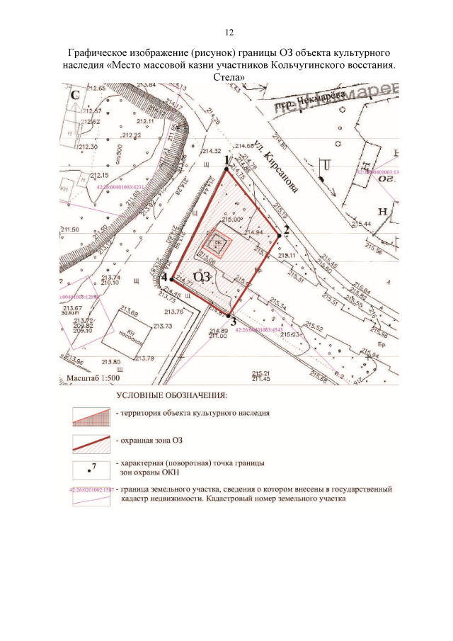
"Об утверждении границ зон охраны объектов культурного наследия местного (муниципального) значения, расположенных на территории Ленинск-Кузнецкого городского округа, особых режимов использования земель в границах территорий данных зон и требований к градостроительным регламентам в границах территорий данных зон"
Номер опубликования: 4200201707060008
Дата опубликования: 06.07.2017
Страница №12 из 17:
Увеличить