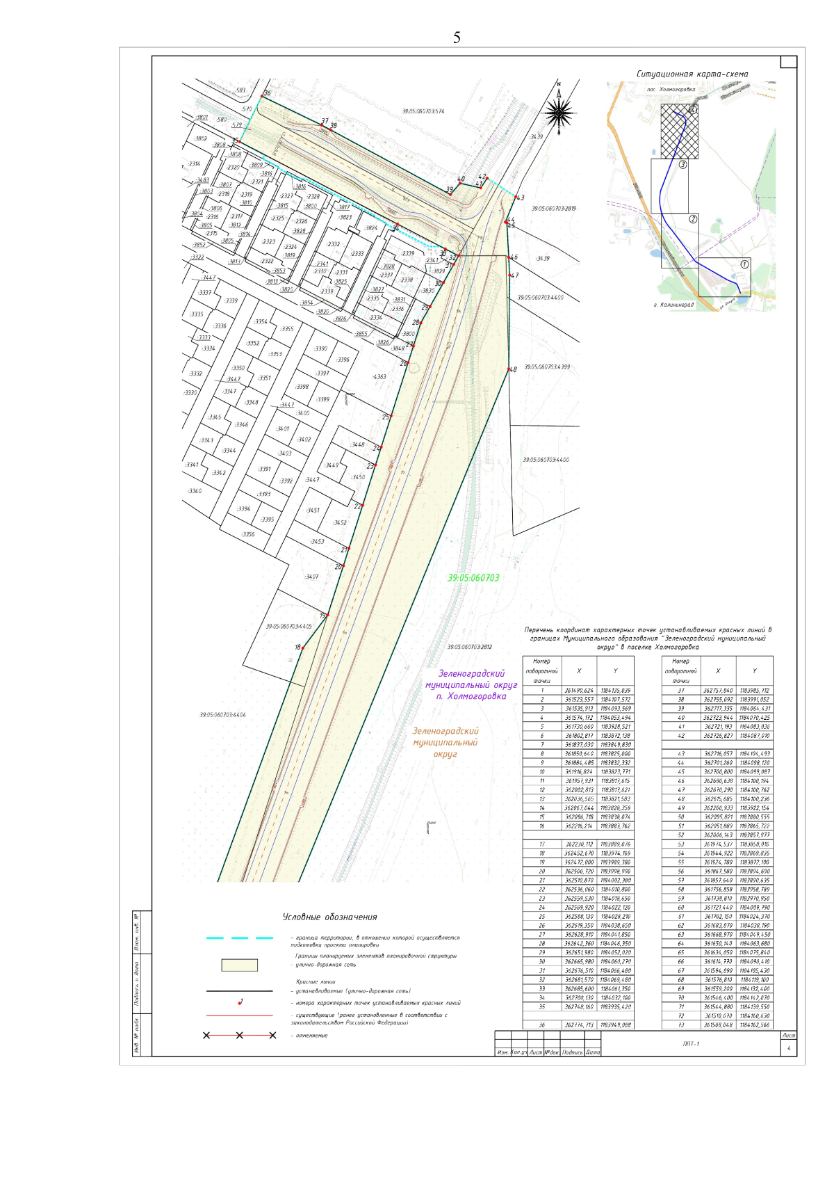
Приказ Министерства градостроительной политики Калининградской области от 02.03.2026 № 102
"Об утверждении проекта планировки территории с проектом межевания в его составе, предусматривающего размещение линейного объекта регионального значения "Строительство автомобильной дороги "Калининград – Холмогоровка"
(Зарегистрирован 02.03.2026 № ГР/157/2026)
"Об утверждении проекта планировки территории с проектом межевания в его составе, предусматривающего размещение линейного объекта регионального значения "Строительство автомобильной дороги "Калининград – Холмогоровка"
(Зарегистрирован 02.03.2026 № ГР/157/2026)
Номер опубликования: 3901202603050003
Дата опубликования:
05.03.2026
