Официальное опубликование правовых актов
ОФИЦИАЛЬНОЕ ОПУБЛИКОВАНИЕ
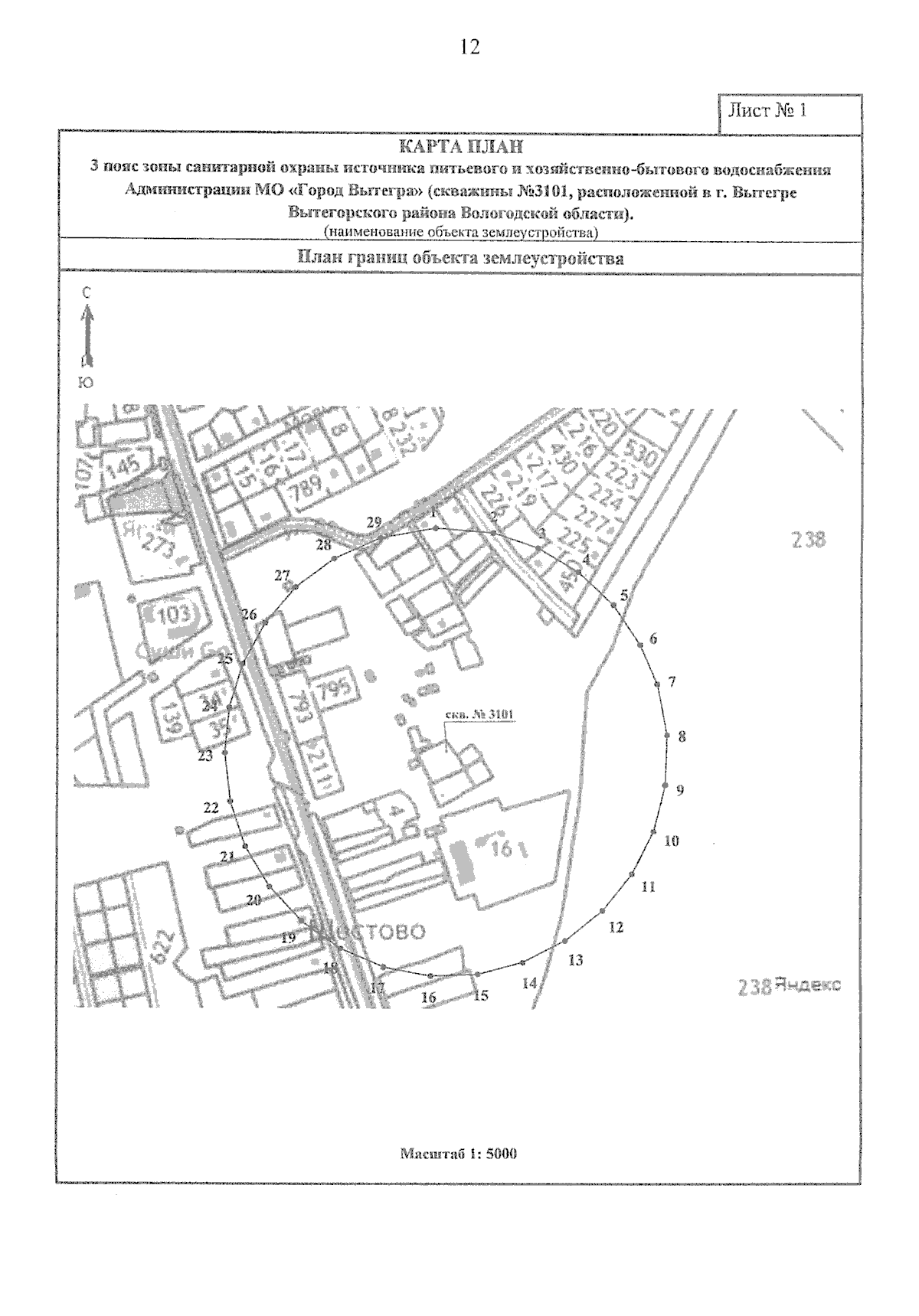
Приказ Министерства лесного комплекса Вологодской области от 21.04.2026 № 441
"Об установлении зон санитарной охраны источников питьевого и хозяйственно-бытового водоснабжения"
(Зарегистрирован 21.04.2026 № 441)
Номер опубликования: 3501202604210002
Дата опубликования: 21.04.2026
Страница №12 из 18:
Увеличить