Официальное опубликование правовых актов
ОФИЦИАЛЬНОЕ ОПУБЛИКОВАНИЕ
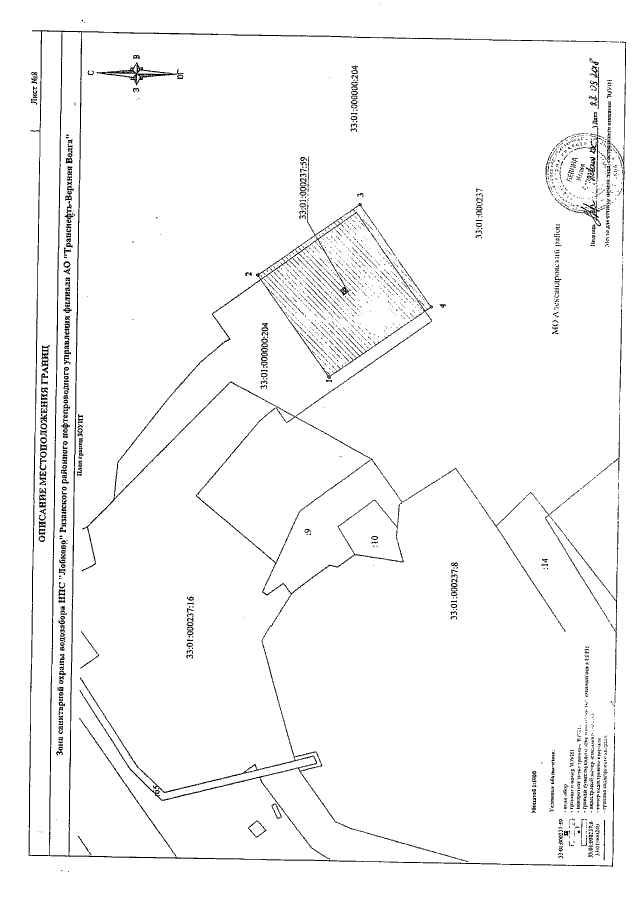
Постановление Департамента природопользования и охраны окружающей среды Владимирской области от 29.10.2018 № 97/01-25
"Об утверждении проекта организации зон санитарной охраны водозабора НПС "Лобково"
Номер опубликования: 3301201811010023
Дата опубликования: 01.11.2018
Страница №9 из 33:
Увеличить