Официальное опубликование правовых актов
ОФИЦИАЛЬНОЕ ОПУБЛИКОВАНИЕ
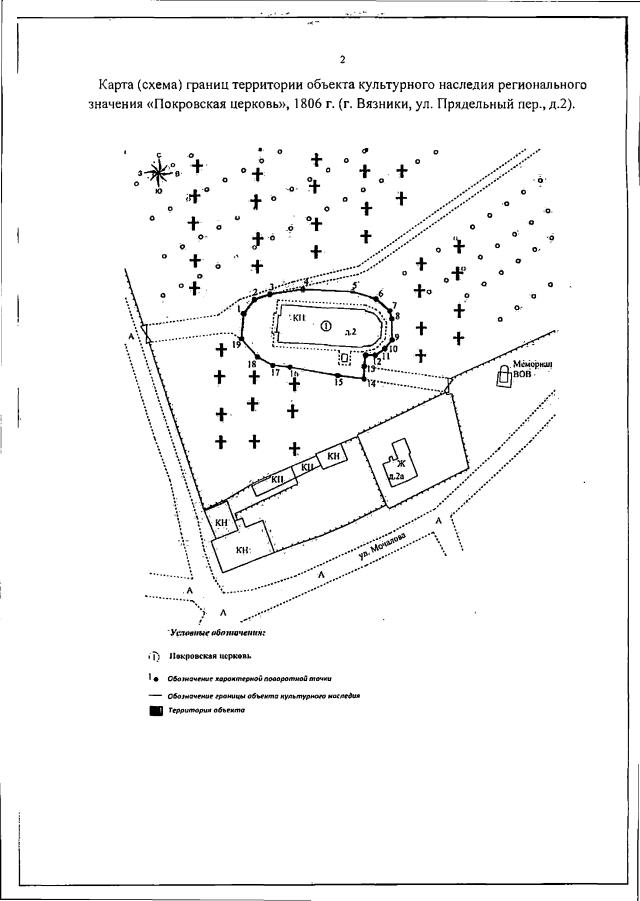
Постановление Инспекции по охране объектов культурного наследия Владимирской области от 31.05.2018 № 8
"Об утверждении границ и режима использования территорий объектов культурного наследия, расположенных в городе Вязники"
Номер опубликования: 3301201806010002
Дата опубликования: 01.06.2018
Страница №4 из 23:
Увеличить