Официальное опубликование правовых актов
ОФИЦИАЛЬНОЕ ОПУБЛИКОВАНИЕ
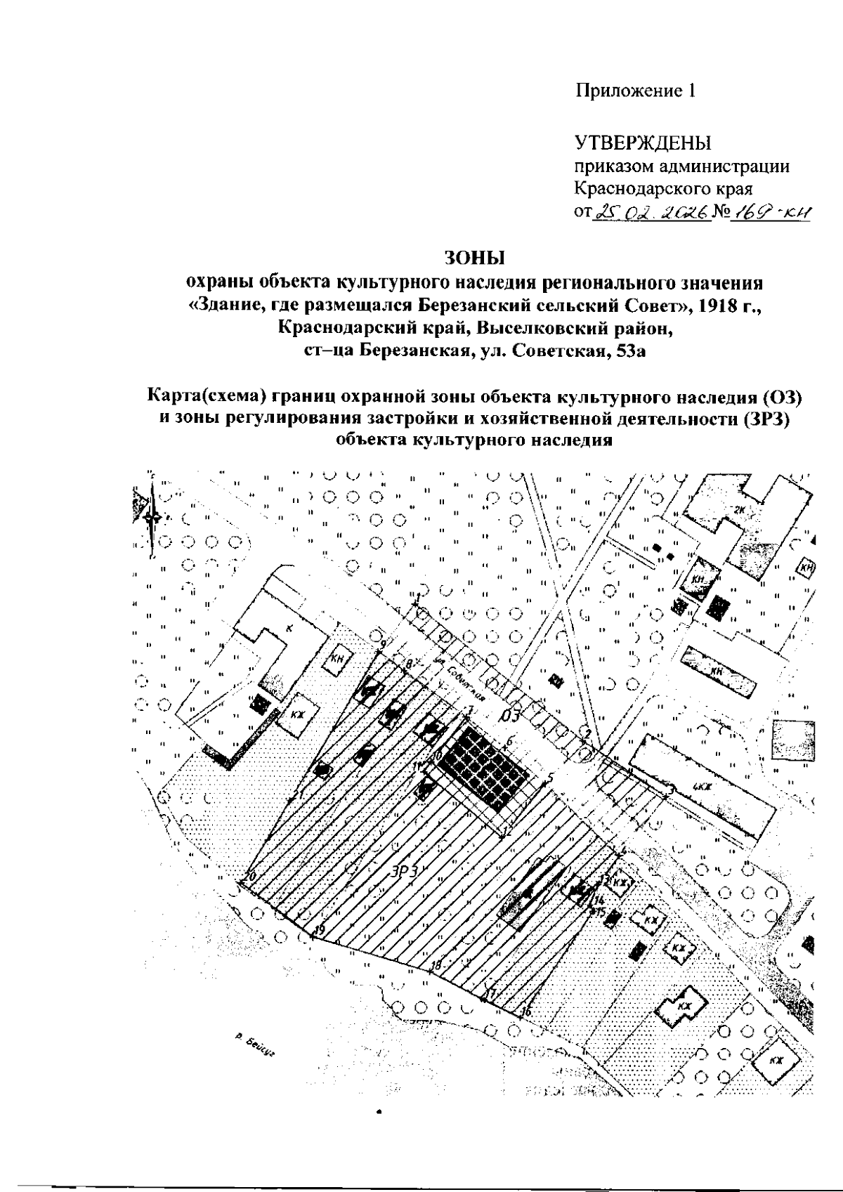
Приказ администрации Краснодарского края от 25.02.2026 № 169-КН
"Об установлении зон охраны, утверждении режимов использования земель и требований к градостроительным регламентам в границах территорий данных зон объекта культурного наследия регионального значения "Здание, где размещался Березанский сельский Совет", 1918 г., Краснодарский край, Выселковский район, ст–ца Березанская, ул. Советская, 53а"
Номер опубликования: 2301202603030015
Дата опубликования: 03.03.2026
Страница №3 из 9:
Увеличить