Официальное опубликование правовых актов
ОФИЦИАЛЬНОЕ ОПУБЛИКОВАНИЕ
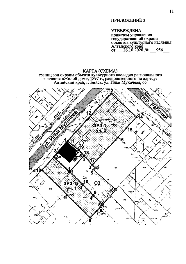
Приказ Управления государственной охраны объектов культурного наследия Алтайского края от 26.10.2020 № 956
"Об установлении зон охраны объекта культурного наследия регионального значения "Жилой дом", 1897 г., расположенного по адресу: Алтайский край, г. Бийск, ул. Ильи Мухачева, 65, утверждении режимов использования земель и требований к градостроительным регламентам в границах территорий данных зон"
Номер опубликования: 2201202010270013
Дата опубликования: 27.10.2020
Страница №11 из 12:
Увеличить