Официальное опубликование правовых актов
ОФИЦИАЛЬНОЕ ОПУБЛИКОВАНИЕ
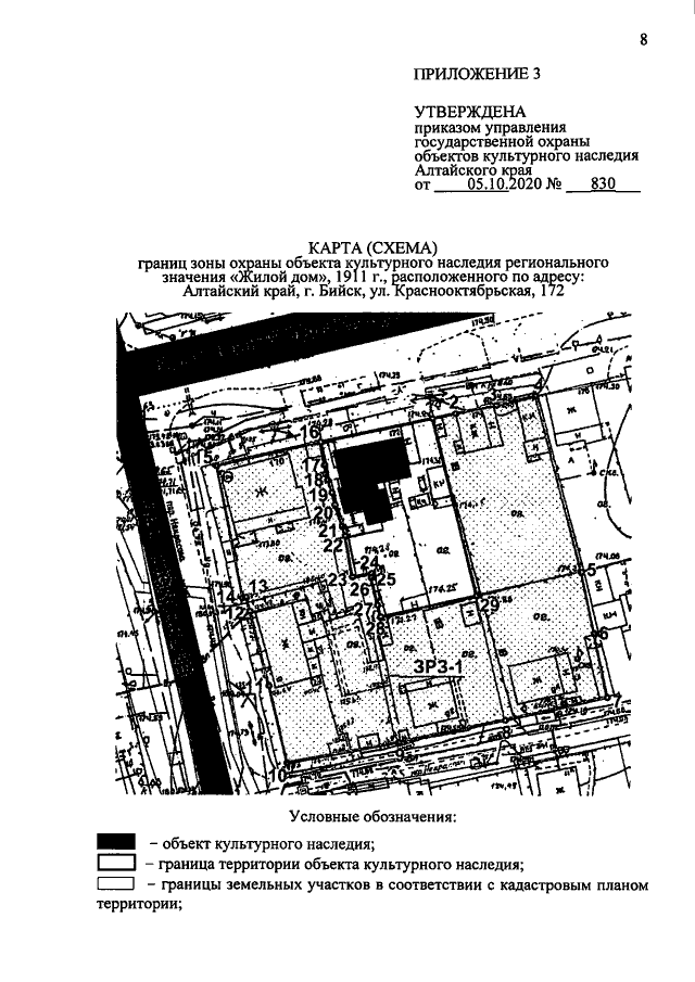
Приказ Управления государственной охраны объектов культурного наследия Алтайского края от 05.10.2020 № 830
"Об установлении зоны охраны объекта культурного наследия регионального значения "Жилой дом", 1911 г., расположенного по адресу: Алтайский край, г. Бийск, ул. Краснооктябрьская, 172, утверждении режима использования земель и требований к градостроительным регламентам в границах территории данной зоны"
Номер опубликования: 2201202010070007
Дата опубликования: 07.10.2020
Страница №8 из 9:
Увеличить