Официальное опубликование правовых актов
ОФИЦИАЛЬНОЕ ОПУБЛИКОВАНИЕ
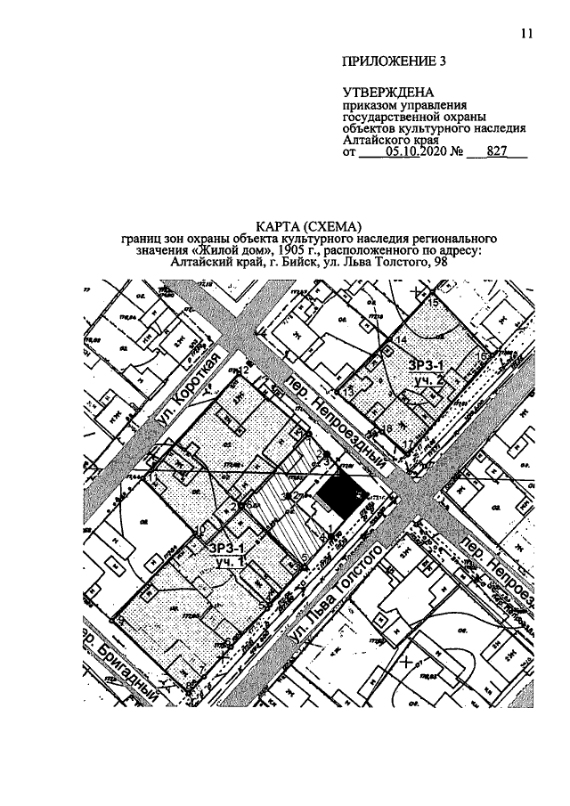
Приказ Управления государственной охраны объектов культурного наследия Алтайского края от 05.10.2020 № 827
"Об установлении зон охраны объекта культурного наследия регионального значения "Жилой дом", 1905 г., расположенного по адресу: Алтайский край, г. Бийск, ул. Льва Толстого, 98, утверждении режимов использования земель и требований к градостроительным регламентам в границах территорий данных зон"
Номер опубликования: 2201202010070001
Дата опубликования: 07.10.2020
Страница №11 из 12:
Увеличить