Официальное опубликование правовых актов
ОФИЦИАЛЬНОЕ ОПУБЛИКОВАНИЕ
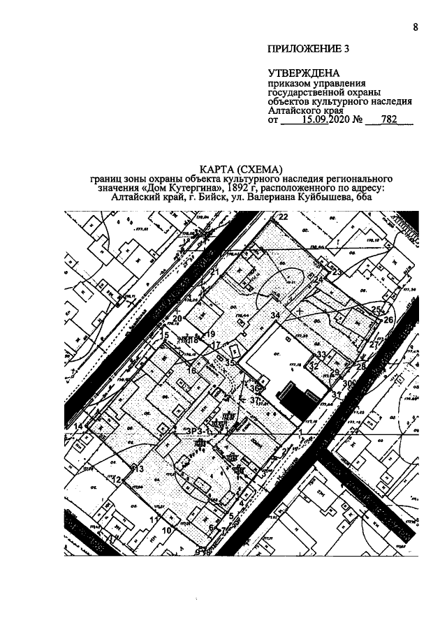
Приказ Управления государственной охраны объектов культурного наследия Алтайского края от 15.09.2020 № 782
"Об установлении зоны охраны объекта культурного наследия регионального значения "Дом Кутергина", 1892 г, расположенного по адресу: Алтайский край, г. Бийск, ул. Валериана Куйбышева, 66а, утверждении режима использования земель и требований к градостроительным регламентам в границах территории данной зоны"
Номер опубликования: 2201202009170001
Дата опубликования: 17.09.2020
Страница №8 из 9:
Увеличить