Официальное опубликование правовых актов
ОФИЦИАЛЬНОЕ ОПУБЛИКОВАНИЕ
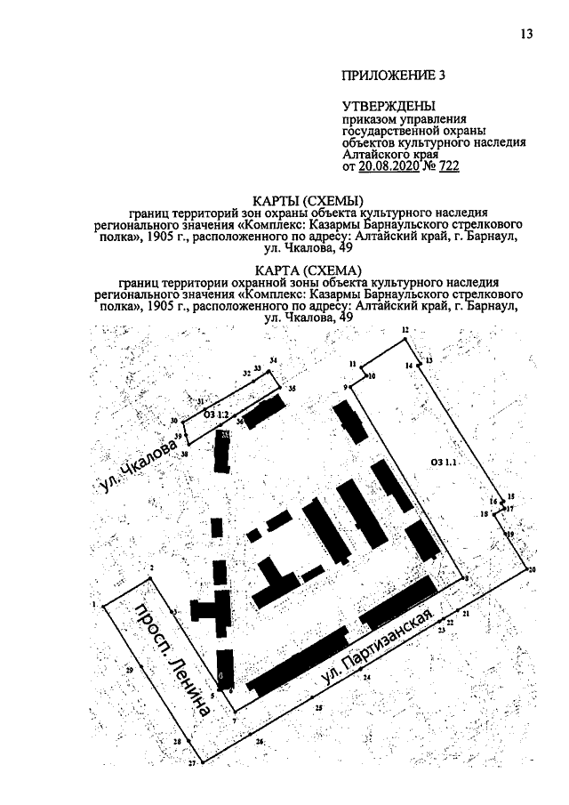
Приказ Управления государственной охраны объектов культурного наследия Алтайского края от 20.08.2020 № 722
"Об установлении зон охраны объекта культурного наследия регионального значения "Комплекс: Казармы Барнаульского стрелкового полка", 1905 г., расположенного по адресу: Алтайский край, г. Барнаул, ул. Чкалова, 49 утверждении режимов использования земель и требований к градостроительным регламентам в границах территорий данных зон"
Номер опубликования: 2201202008250003
Дата опубликования: 25.08.2020
Страница №13 из 15:
Увеличить