Приказ Управления государственной охраны объектов культурного наследия Алтайского края от 18.08.2020 № 704
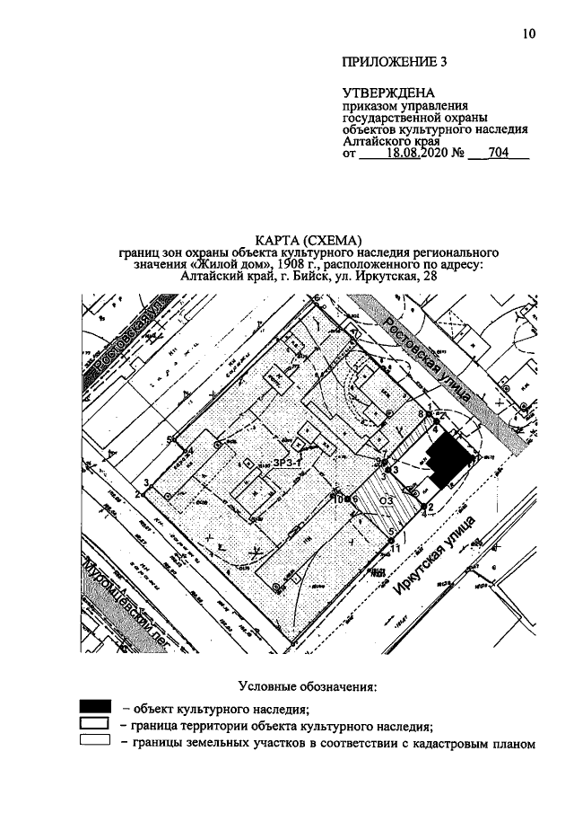
"Об установлении зон охраны объекта культурного наследия регионального значения "Жилой дом", 1908 г., расположенного по адресу: Алтайский край, г. Бийск, ул. Иркутская, 28, утверждении режимов использования земель и требований к градостроительным регламентам в границах территорий данных зон"
"Об установлении зон охраны объекта культурного наследия регионального значения "Жилой дом", 1908 г., расположенного по адресу: Алтайский край, г. Бийск, ул. Иркутская, 28, утверждении режимов использования земель и требований к градостроительным регламентам в границах территорий данных зон"
Номер опубликования: 2201202008200004
Дата опубликования:
20.08.2020
