Официальное опубликование правовых актов
ОФИЦИАЛЬНОЕ ОПУБЛИКОВАНИЕ
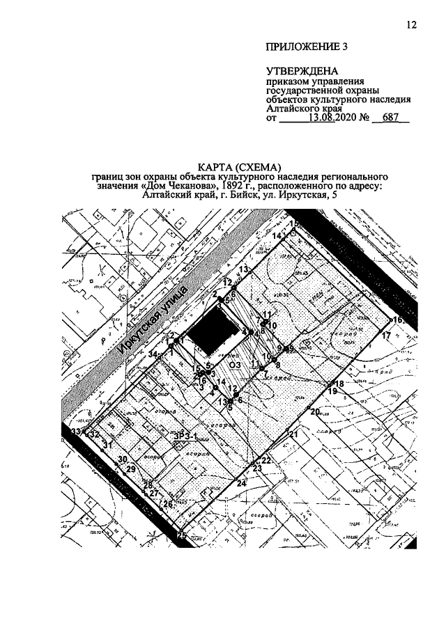
Приказ Управления государственной охраны объектов культурного наследия Алтайского края от 13.08.2020 № 687
"Об установлении зон охраны объекта культурного наследия регионального значения "Дом Чеканова", 1892 г., расположенного по адресу: Алтайский край, г. Бийск, ул. Иркутская, 5, утверждении режимов использования земель и требований к градостроительным регламентам в границах территорий данных зон"
Номер опубликования: 2201202008140004
Дата опубликования: 14.08.2020
Страница №12 из 13:
Увеличить