Официальное опубликование правовых актов
ОФИЦИАЛЬНОЕ ОПУБЛИКОВАНИЕ
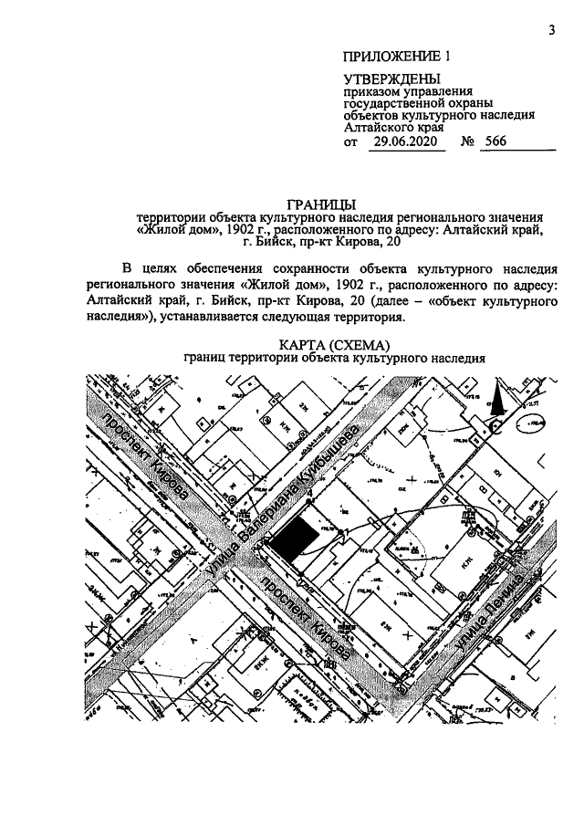
Приказ Управления государственной охраны объектов культурного наследия Алтайского края от 29.06.2020 № 566
"Об утверждении границ территории и режима использования территории объекта культурного наследия регионального значения "Жилой дом", 1902 г., расположенного по адресу: Алтайский край, г. Бийск, пр-кт Кирова, 20"
Номер опубликования: 2201202007020009
Дата опубликования: 02.07.2020
Страница №3 из 6:
Увеличить