Официальное опубликование правовых актов
ОФИЦИАЛЬНОЕ ОПУБЛИКОВАНИЕ
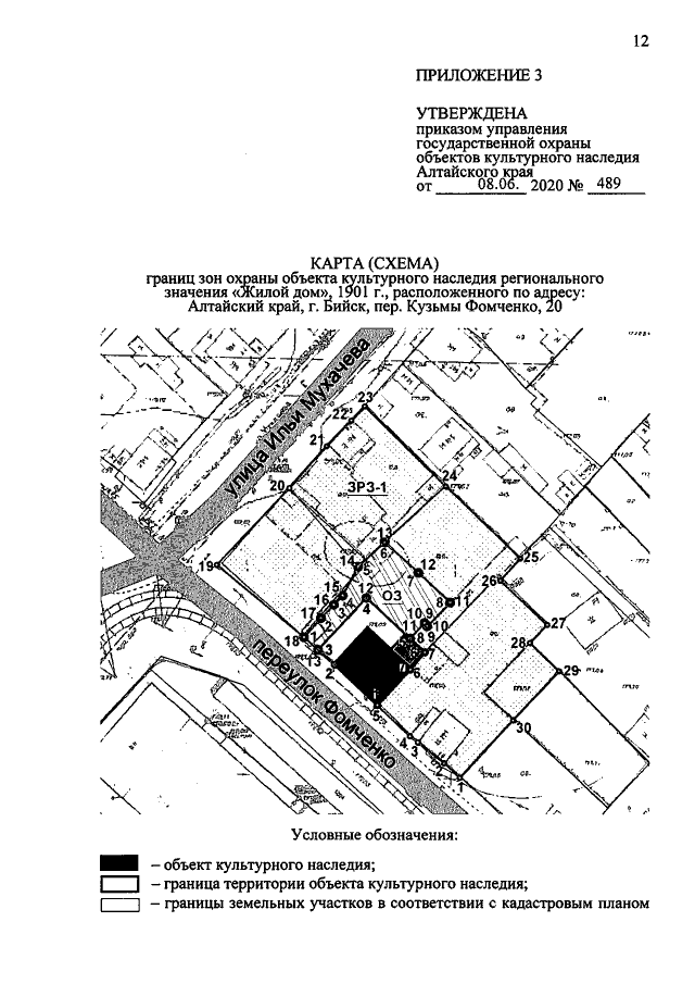
Приказ Управления государственной охраны объектов культурного наследия Алтайского края от 08.06.2020 № 489
"Об установлении зон охраны объекта культурного наследия регионального значения "Жилой дом", 1901 г., расположенного по адресу: Алтайский край, г. Бийск, пер. Кузьмы Фомченко, 20, утверждении режимов использования земель и требований к градостроительным регламентам в границах территорий данных зон"
Номер опубликования: 2201202006090006
Дата опубликования: 09.06.2020
Страница №12 из 13:
Увеличить