Официальное опубликование правовых актов
ОФИЦИАЛЬНОЕ ОПУБЛИКОВАНИЕ
Приказ Управления государственной охраны объектов культурного наследия Алтайского края от 26.03.2020 № 158
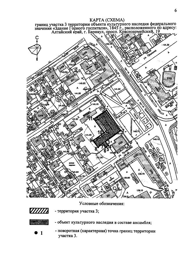
"Об утверждении границ территории и режима использования территории объекта культурного наследия федерального значения "Ансамбль горнозаводской площади", XIX в., расположенного по адресу: Алтайский край, г. Барнаул, проспект Красноармейский, 4, 19, 21; площадь Демидовская, 1; площадь Спартака, 10"
Номер опубликования: 2201202003270009
Дата опубликования: 27.03.2020
Страница №6 из 13:
Увеличить