Официальное опубликование правовых актов
ОФИЦИАЛЬНОЕ ОПУБЛИКОВАНИЕ
Постановление Правительства Алтайского края от 06.05.2020 № 200
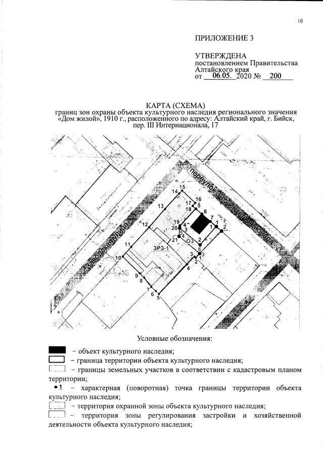
"Об установлении зон охраны объекта культурного наследия регионального значения "Дом жилой", 1910 г., расположенного по адресу: Алтайский край, г. Бийск, пер. III Интернационала, 17, утверждении режимов использования земель и требований к градостроительным регламентам в границах территорий данных зон"
Номер опубликования: 2200202005060004
Дата опубликования: 06.05.2020
Страница №10 из 11:
Увеличить