Официальное опубликование правовых актов
ОФИЦИАЛЬНОЕ ОПУБЛИКОВАНИЕ
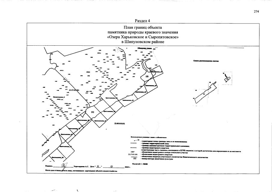
Постановление Правительства Алтайского края от 23.04.2020 № 181
"О внесении изменений в постановление Администрации Алтайского края от 06.05.2014 № 220"
Номер опубликования: 2200202004240003
Дата опубликования: 24.04.2020
Страница №274 из 274:
Увеличить