Официальное опубликование правовых актов
ОФИЦИАЛЬНОЕ ОПУБЛИКОВАНИЕ
Постановление Правительства Удмуртской Республики от 20.12.2022 № 733
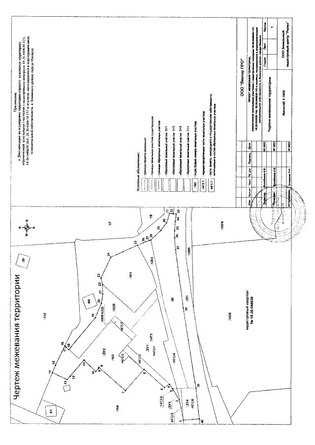
"Об утверждении Документации по планировке территории (проекта межевания территории), ограниченной земельными участками с кадастровыми номерами 18:26:040630:121, 18:26:040630:164, 18:26:040630:133 и землями, находящимися в неразграниченной муниципальной собственности, в Ленинском районе города Ижевска"
Номер опубликования: 1800202212220018
Дата опубликования: 22.12.2022
Страница №8 из 8:
Увеличить